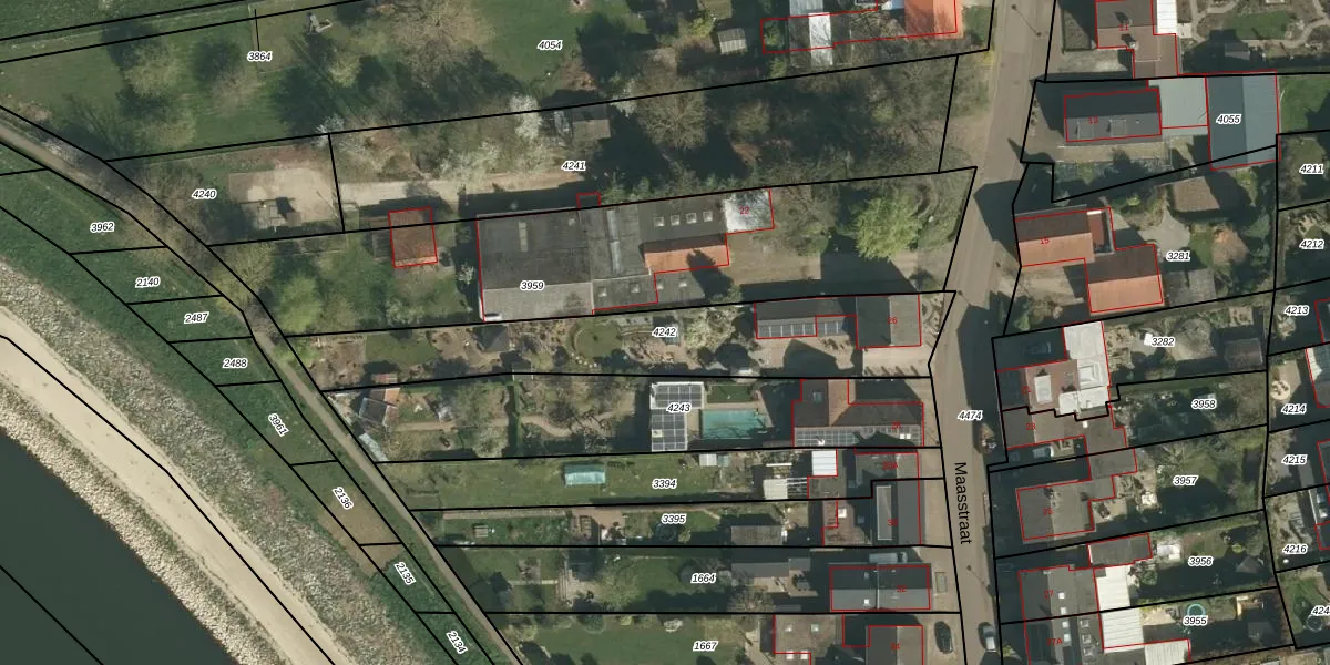
Perceel: OBT00-B-4242
KadastraleKaart.com kan meer dan je denktOntdek meer ›
Filter op bestemming 50+ datasets Eigendomsdata in één klik Percelen CRM
1.030 m2 - 217 m
Eigenaar opvragen
OBT00-B-4242 (Obbicht en Papenhoven)
- 6125 AT
Jq9XnirsVykbMMV69 4 TrQama jUpgrade naar KadastraleKaart Pro
Verkoopprijs opvragen
Bekijk op Street View
Download DWG/DXF/Excel
OdMZwH5doSpxcNl6tdUT2o6Upgrade naar KadastraleKaart Pro
jQ 1M0 c6dwXzOXD7GigUpgrade naar KadastraleKaart Pro
lGyssiYWsaFCUpgrade naar KadastraleKaart Pro
LqU2 y N2Upgrade naar KadastraleKaart Pro
F5gKQaU6kFUpgrade naar KadastraleKaart Pro
hVu3bouxLBPrkuGS2fUpgrade naar KadastraleKaart Pro
CI 3LPo8yLa RZzshFhyUpgrade naar KadastraleKaart Pro
Q9sexbfVL0v4r9leJDUpgrade naar KadastraleKaart Pro
ra4PMG6 aneZhpMtUpgrade naar KadastraleKaart Pro
QKLCuE9RLvJY z3ycptUpgrade naar KadastraleKaart Pro
20/07/2009

Percelen
Gebruik de zoekbalk of klik op een perceel om informatie over het perceel te bekijken.