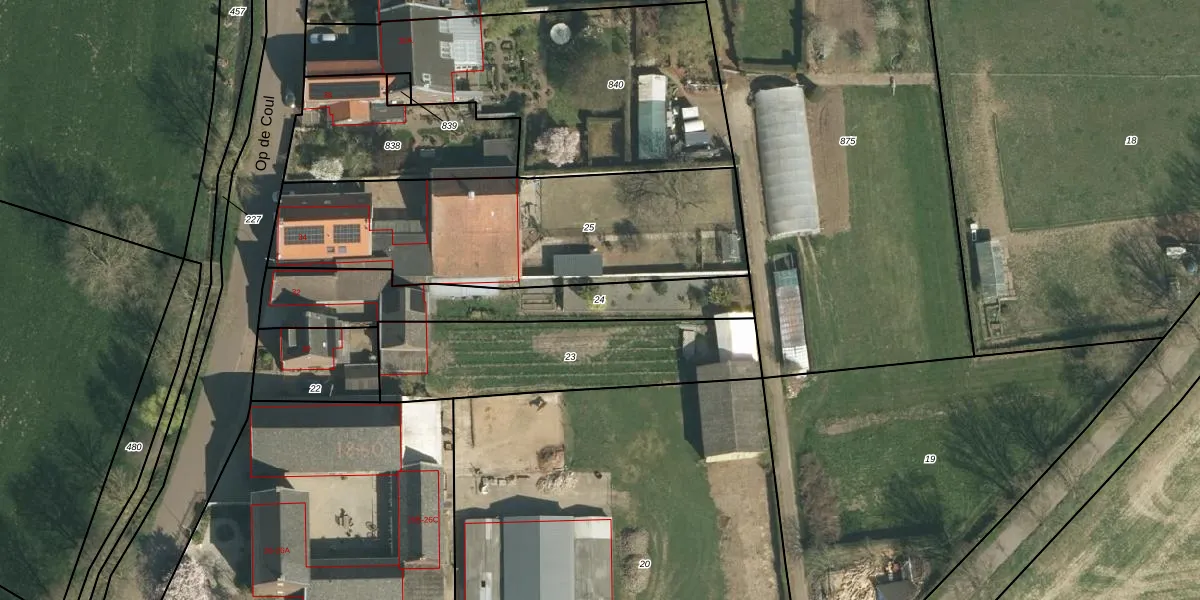
Perceel: OBT00-C-24
KadastraleKaart.com kan meer dan je denktOntdek meer ›
Filter op bestemming 50+ datasets Eigendomsdata in één klik Percelen CRM
600 m2 - 185 m
Eigenaar opvragen
OBT00-C-24 (Obbicht en Papenhoven)
- 6124 BB
PmiuvYgn59JdYa7kRUpgrade naar KadastraleKaart Pro
Bekijk op Street View
Download DWG/DXF/Excel
63zzzLZjceSFKzD3H34e5Upgrade naar KadastraleKaart Pro
f4E8lYDxY H3 TrNbGwkUpgrade naar KadastraleKaart Pro
zDAIeJAhiqMPNhSlStk 77yUpgrade naar KadastraleKaart Pro
B0xmi89bMnvkPUCRUpgrade naar KadastraleKaart Pro
1D7SpbMSJFf5PFUpgrade naar KadastraleKaart Pro
zOHV5lPKyg5oRhm0xxr7nQ1Upgrade naar KadastraleKaart Pro
WrhgW0Lcw2n9KKjd Upgrade naar KadastraleKaart Pro
N11p MTIiuUpgrade naar KadastraleKaart Pro
aPGXc4eOJ i3cbEIcpgUZDUpgrade naar KadastraleKaart Pro
H0vqge iPRCXI7Upgrade naar KadastraleKaart Pro
16/07/2009

Percelen
Gebruik de zoekbalk of klik op een perceel om informatie over het perceel te bekijken.