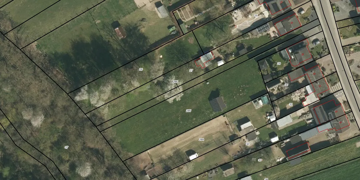
Perceel: OBT00-D-286
KadastraleKaart.com kan meer dan je denktOntdek meer ›
Filter op bestemming 50+ datasets Eigendomsdata in één klik Percelen CRM
Geen adressen bij dit perceel
495 m2 - 281 m
Eigenaar opvragen
OBT00-D-286 (Obbicht en Papenhoven)
- Geen postcode aanwezig
A4RXRlWJdFRpqnT4JRijC WTFJvgAjmUpgrade naar KadastraleKaart Pro
Bekijk op Street View
Download DWG/DXF/Excel
MTdx2 ETY9 rINPNUpgrade naar KadastraleKaart Pro
0v pMQPQUPuT0ltJ3a9UUpgrade naar KadastraleKaart Pro
nqmCz UHUpgrade naar KadastraleKaart Pro
xLZDtc0oUpgrade naar KadastraleKaart Pro
mi7ApyRKj8LfXf aVDUpgrade naar KadastraleKaart Pro
p0xCO3K D1XLDNiWoUpgrade naar KadastraleKaart Pro
U8s UzgO7TM2yhKrHJ xjA7Upgrade naar KadastraleKaart Pro
geQhK PI Hw1bXhXzmgRrPUpgrade naar KadastraleKaart Pro
hrCl08TU90knNoUpgrade naar KadastraleKaart Pro
MZiY2TDITdUpgrade naar KadastraleKaart Pro
10/10/2017

Percelen
Gebruik de zoekbalk of klik op een perceel om informatie over het perceel te bekijken.