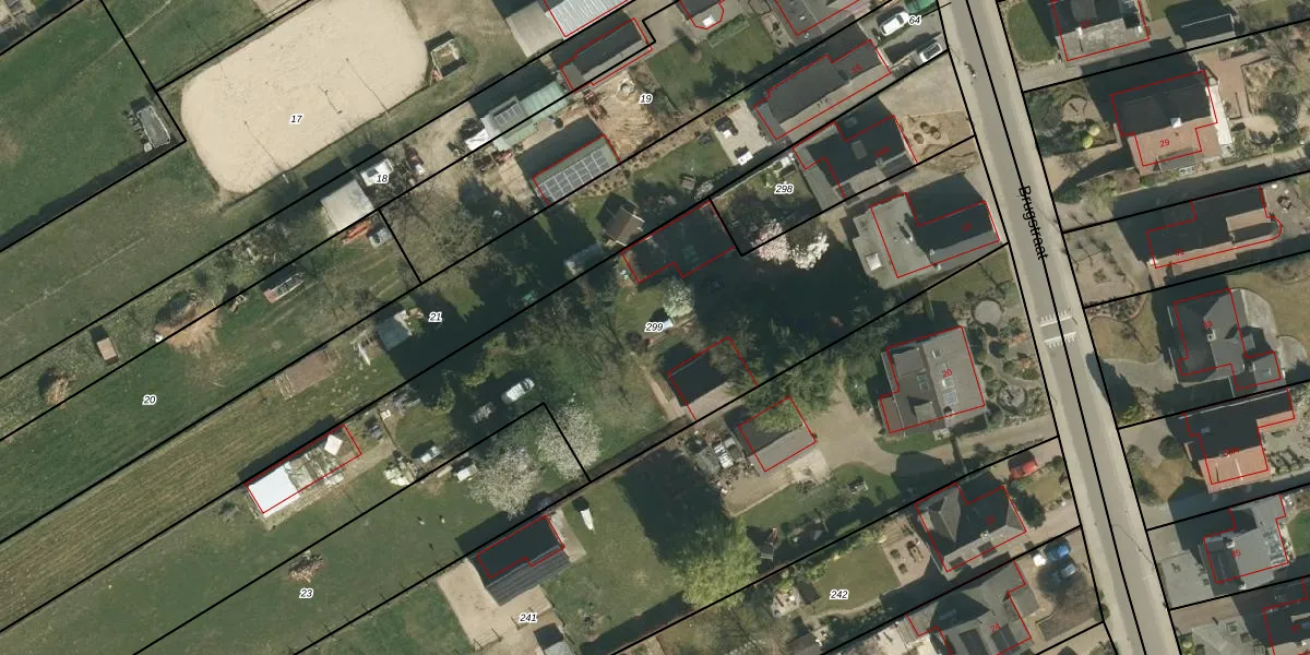
Perceel: OBT00-D-299
KadastraleKaart.com kan meer dan je denktOntdek meer ›
Filter op bestemming 50+ datasets Eigendomsdata in één klik Percelen CRM
3.133 m2 - 411 m
Eigenaar opvragen
OBT00-D-299 (Obbicht en Papenhoven)
- 6125 RC
70Fr tsxDZTyxulaetwUpgrade naar KadastraleKaart Pro
Bekijk op Street View
Download DWG/DXF/Excel
sKlkWsy1gmYmUpgrade naar KadastraleKaart Pro
Y7BL2CKJjUpgrade naar KadastraleKaart Pro
p1ycbAUvjUpgrade naar KadastraleKaart Pro
SnhSRH4z Yx EPzw2OJUpgrade naar KadastraleKaart Pro
QsWvEFrU y7Upgrade naar KadastraleKaart Pro
nq50T2solvz9mk t1yIqUpgrade naar KadastraleKaart Pro
iMYB0EGcc8 JU5 CbKUpgrade naar KadastraleKaart Pro
BWtcE9GBZhEUpgrade naar KadastraleKaart Pro
KVZYl IQ3GjQVJ3 OJNGUpgrade naar KadastraleKaart Pro
3FeesGWhDVSrePHmMUh geUpgrade naar KadastraleKaart Pro
09/04/2021

Percelen
Gebruik de zoekbalk of klik op een perceel om informatie over het perceel te bekijken.