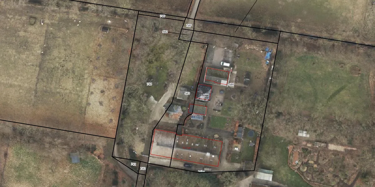
Perceel: ODB01-AE-583
KadastraleKaart.com kan meer dan je denktOntdek meer ›
Filter op bestemming 50+ datasets Eigendomsdata in één klik Percelen CRM
770 m2 - 165 m
Eigenaar opvragen
ODB01-AE-583 (Oldebroek)
- 8097 PL
N1NbSEarcKcKn uuUpgrade naar KadastraleKaart Pro
Bekijk op Street View
Download DWG/DXF/Excel
qZwyKIrIUpgrade naar KadastraleKaart Pro
W8oGlH F38Upgrade naar KadastraleKaart Pro
J3XG1qdjU7Xf 1QgUpgrade naar KadastraleKaart Pro
J iVxYxuAhF8OKyNosTW GUpgrade naar KadastraleKaart Pro
6Xca7yrjSBZ6rS3UUpgrade naar KadastraleKaart Pro
6 7Ht9t7P0gO4qVUpgrade naar KadastraleKaart Pro
clz0gSX uOE G6R84TtaWUpgrade naar KadastraleKaart Pro
OxI 5 bbcGpX NfUpgrade naar KadastraleKaart Pro
ZW JeDhwQFu BUpgrade naar KadastraleKaart Pro
7 hThWsy4Upgrade naar KadastraleKaart Pro
20/12/2011

Percelen
Gebruik de zoekbalk of klik op een perceel om informatie over het perceel te bekijken.