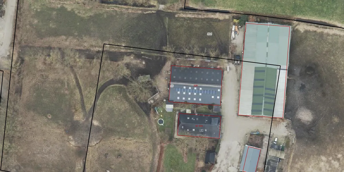
Perceel: ODB01-AE-69
KadastraleKaart.com kan meer dan je denktOntdek meer ›
Filter op bestemming 50+ datasets Eigendomsdata in één klik Percelen CRM
8.820 m2 - 378 m
Eigenaar opvragen
ODB01-AE-69 (Oldebroek)
- 8097 SG
jkKPdKr Vx PQxS k8IPX 0aVFbPUpgrade naar KadastraleKaart Pro
Bekijk op Street View
Download DWG/DXF/Excel
y3bZa fi7h1ed DtUpgrade naar KadastraleKaart Pro
PexYFyZIQ1 pJS RX8aUpgrade naar KadastraleKaart Pro
3Gge GVodqF2wGLZEP XAUpgrade naar KadastraleKaart Pro
BznyNi1JI9Vn 8yUpgrade naar KadastraleKaart Pro
PqmWsXfKTruUUUpgrade naar KadastraleKaart Pro
1 OGmzCHEJDl0Upgrade naar KadastraleKaart Pro
yv kMILm5LfxOQxzDPNxOEUpgrade naar KadastraleKaart Pro
GsbFdInUQv0Upgrade naar KadastraleKaart Pro
GU 1GoehZ xWK J3 B0u 2WUpgrade naar KadastraleKaart Pro
fb4 x6SsUCEUV J WNaFUlOUpgrade naar KadastraleKaart Pro
06/04/2001

Percelen
Gebruik de zoekbalk of klik op een perceel om informatie over het perceel te bekijken.