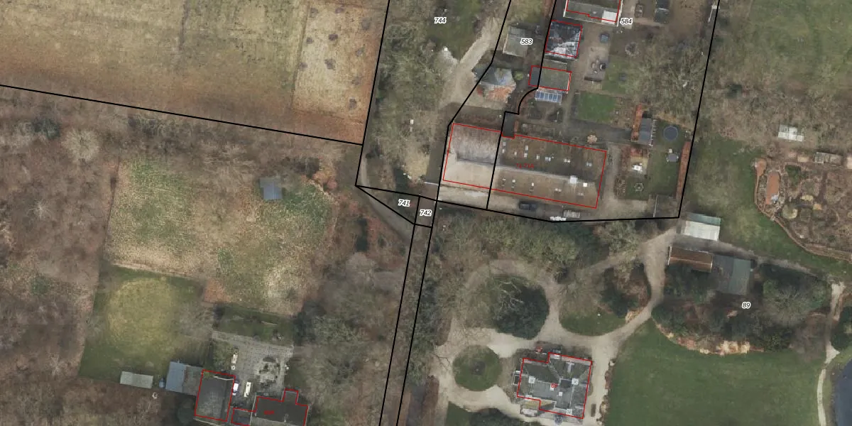
Perceel: ODB01-AE-742
Geen adressen bij dit perceel
27 m2 - 21 m
Eigenaar opvragen
ODB01-AE-742 (Oldebroek)
- Geen postcode aanwezig
Sanj7gDn UtRAo 3W x6N MO VT nmUpgrade naar KadastraleKaart Pro
Bekijk op Street View
Download DWG/DXF/Excel
su2lRjJos pbBgrVHUpgrade naar KadastraleKaart Pro
hTEG1 oecfV zJVdjCqyUpgrade naar KadastraleKaart Pro
XS2W1cC6C3Upgrade naar KadastraleKaart Pro
hUfNbKsJpOUpgrade naar KadastraleKaart Pro
b7 OWAl KPkueJfHISUpgrade naar KadastraleKaart Pro
AN8S9IY3vHBmgfi4sSk2oZUpgrade naar KadastraleKaart Pro
ge01T5CUPh4WE vAPo3Upgrade naar KadastraleKaart Pro
Ygqhc C3m2CMcUIcRUpgrade naar KadastraleKaart Pro
OsOEIqOT 3YGfq3bHD7Upgrade naar KadastraleKaart Pro
S4m2De Vh0H22D2U9 BX Upgrade naar KadastraleKaart Pro
05/02/2020

Percelen
Gebruik de zoekbalk of klik op een perceel om informatie over het perceel te bekijken.