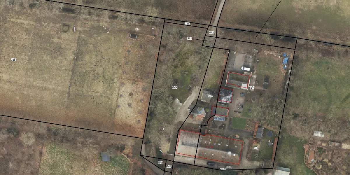
Perceel: ODB01-AE-744
Geen adressen bij dit perceel
1.899 m2 - 209 m
Eigenaar opvragen
ODB01-AE-744 (Oldebroek)
- Geen postcode aanwezig
ObPS Wrz Sfh i7Fhvz202WUpgrade naar KadastraleKaart Pro
Bekijk op Street View
Download DWG/DXF/Excel
RQzEAzBfXUpgrade naar KadastraleKaart Pro
hcxVImLNLI71J p IcMoUpgrade naar KadastraleKaart Pro
PjVgFflx3YGm2sXzx1o5DnzUpgrade naar KadastraleKaart Pro
zVSY6mBv Upgrade naar KadastraleKaart Pro
lU2cgr bixUpgrade naar KadastraleKaart Pro
ptXNzPWsu RRtYUpgrade naar KadastraleKaart Pro
JExzwbl5mwyRDFRFwO eI0aUpgrade naar KadastraleKaart Pro
S1aKJjSvHOa pjH3Upgrade naar KadastraleKaart Pro
L4KW NyBovd CNnu6Upgrade naar KadastraleKaart Pro
AmskSgTJ Upgrade naar KadastraleKaart Pro
05/02/2020

Percelen
Gebruik de zoekbalk of klik op een perceel om informatie over het perceel te bekijken.