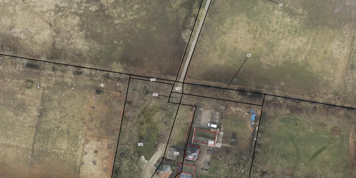
Perceel: ODB01-AE-745
Geen adressen bij dit perceel
34 m2 - 23 m
Eigenaar opvragen
ODB01-AE-745 (Oldebroek)
- Geen postcode aanwezig
aZWeC OOQiywe1Qeh8NUpgrade naar KadastraleKaart Pro
Bekijk op Street View
Download DWG/DXF/Excel
j88y exwAk0FtVUpgrade naar KadastraleKaart Pro
BD I zBtCEaJGlUpgrade naar KadastraleKaart Pro
6gYX52gzwh5 4S8 Gg19XUpgrade naar KadastraleKaart Pro
6Ihq 5Pk0Dw4GfUpgrade naar KadastraleKaart Pro
MfbIUqro64avwY4wUpgrade naar KadastraleKaart Pro
qqtDvXI0UUpgrade naar KadastraleKaart Pro
fKTAB TYWtSvAIb6DR 3xUpgrade naar KadastraleKaart Pro
GPsVirS VlUpgrade naar KadastraleKaart Pro
ZY G50izhWPWxINevgUpgrade naar KadastraleKaart Pro
WfGg aGchOl4UUpgrade naar KadastraleKaart Pro
05/02/2020

Percelen
Gebruik de zoekbalk of klik op een perceel om informatie over het perceel te bekijken.