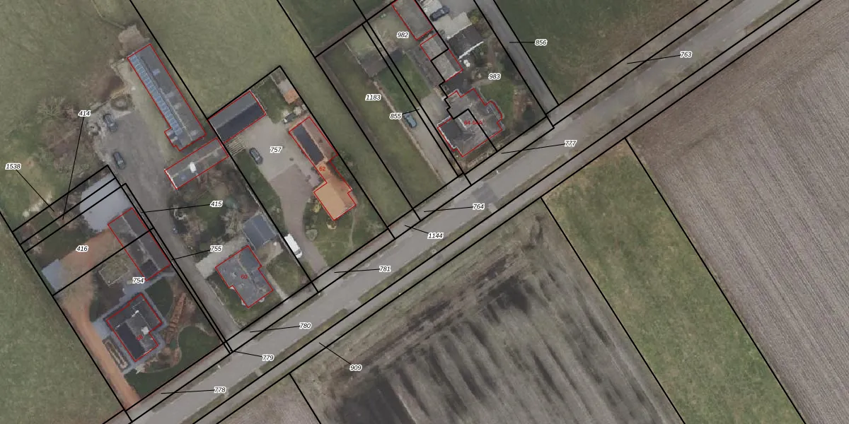
Perceel: ODB01-AG-764
KadastraleKaart.com kan meer dan je denktOntdek meer ›
Filter op bestemming 50+ datasets Eigendomsdata in één klik Percelen CRM
Geen adressen bij dit perceel
50 m2 - 36 m
Eigenaar opvragen
ODB01-AG-764 (Oldebroek)
- Geen postcode aanwezig
8bk1qFH5rIJzgUyGhomeAacUpgrade naar KadastraleKaart Pro
Bekijk op Street View
Download DWG/DXF/Excel
t6Bo2GZ 8CfvaYWUpgrade naar KadastraleKaart Pro
6Kux2ulTUpgrade naar KadastraleKaart Pro
o pVW5gdS0w ZvvubGGosUpgrade naar KadastraleKaart Pro
KN7fI5sY oK UoaMN6TCsbUpgrade naar KadastraleKaart Pro
zdsTmorq Upgrade naar KadastraleKaart Pro
wHiAi4muzyv54 SgoLD 9ZUpgrade naar KadastraleKaart Pro
vL8Ob1 mW Upgrade naar KadastraleKaart Pro
Ui6I7zb JveWZ UaRwUpgrade naar KadastraleKaart Pro
n36ANyE7Upgrade naar KadastraleKaart Pro
aIwf DZmUpgrade naar KadastraleKaart Pro
22/02/2005

Percelen
Gebruik de zoekbalk of klik op een perceel om informatie over het perceel te bekijken.