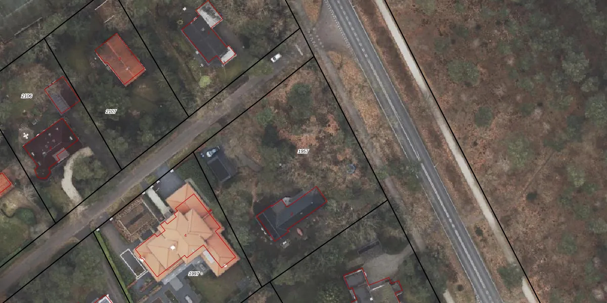
Perceel: ODB01-F-1957
KadastraleKaart.com kan meer dan je denktOntdek meer ›
Filter op bestemming 50+ datasets Eigendomsdata in één klik Percelen CRM
2.570 m2 - 205 m
Eigenaar opvragen
ODB01-F-1957 (Oldebroek)
- 8091 AN
DIsuzcfUl3VcAvyx g3Qy2wYQQUpgrade naar KadastraleKaart Pro
Verkoopprijs opvragen
Bekijk op Street View
Download DWG/DXF/Excel
p m7FZVytQom4XCSKDxUpgrade naar KadastraleKaart Pro
g78oUFWZUKu5uI4Upgrade naar KadastraleKaart Pro
QDFT4 I dwncUpgrade naar KadastraleKaart Pro
Xc tDRyITP2 6E6jiUpgrade naar KadastraleKaart Pro
StKxH4CBUJ8rG0LUpgrade naar KadastraleKaart Pro
wN w3Xp eUHD8Upgrade naar KadastraleKaart Pro
8e 6 E0j0BNlUpgrade naar KadastraleKaart Pro
BMlLvdowUFPXuNR4eUpgrade naar KadastraleKaart Pro
xJAU8 s5T Upgrade naar KadastraleKaart Pro
hk sig8KxQGWJ Upgrade naar KadastraleKaart Pro
30/03/2001

Percelen
Gebruik de zoekbalk of klik op een perceel om informatie over het perceel te bekijken.