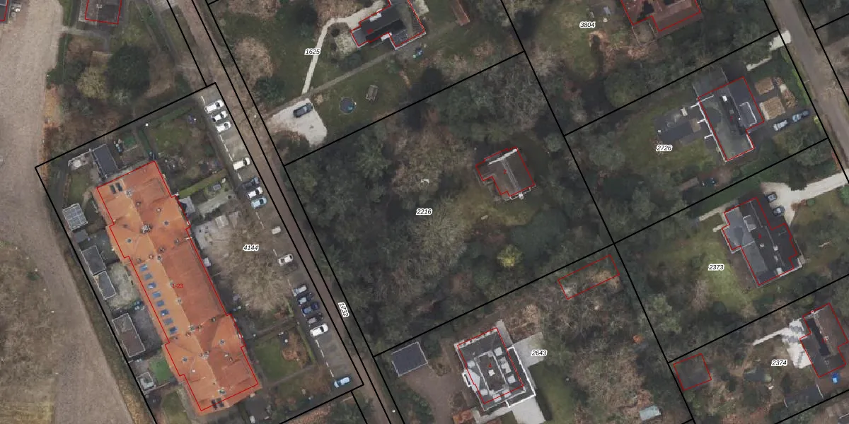
Perceel: ODB01-F-2216
KadastraleKaart.com kan meer dan je denktOntdek meer ›
Filter op bestemming 50+ datasets Eigendomsdata in één klik Percelen CRM
3.130 m2 - 225 m
Eigenaar opvragen
ODB01-F-2216 (Oldebroek)
- 8091 AT
w5kKTZpoSq1dmzDHyhTWUpgrade naar KadastraleKaart Pro
Bekijk op Street View
Download DWG/DXF/Excel
iyNfxNhuY4rUR 5yXKgSEqCUpgrade naar KadastraleKaart Pro
lgpu50StjUpgrade naar KadastraleKaart Pro
mptIqYXZjAbC squUpgrade naar KadastraleKaart Pro
IuP6iUEW172RdgSl8GUpgrade naar KadastraleKaart Pro
6 3fZCxW IOosUpgrade naar KadastraleKaart Pro
1vSdCTfdUr Upgrade naar KadastraleKaart Pro
t3nM9 Eg76mZOeiPeT cLGUpgrade naar KadastraleKaart Pro
6rVybW0eNUpgrade naar KadastraleKaart Pro
cesQuk KyvhHzSmVsR0iEUpgrade naar KadastraleKaart Pro
J RwLVnu1Kdi S Upgrade naar KadastraleKaart Pro
22/01/1998

Percelen
Gebruik de zoekbalk of klik op een perceel om informatie over het perceel te bekijken.