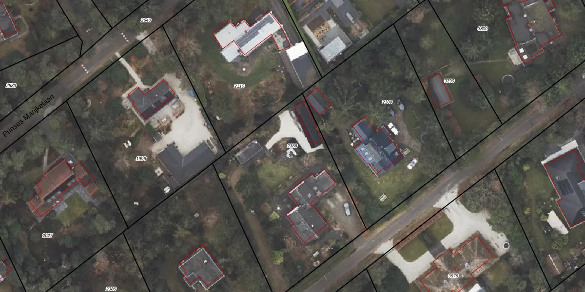
Perceel: ODB01-F-2388
KadastraleKaart.com kan meer dan je denktOntdek meer ›
Filter op bestemming 50+ datasets Eigendomsdata in één klik Percelen CRM
1.990 m2 - 181 m
Eigenaar opvragen
ODB01-F-2388 (Oldebroek)
- 8091 AL
mKLW0VG5MeKoc3 sWUpgrade naar KadastraleKaart Pro
Verkoopprijs opvragen
Bekijk op Street View
Download DWG/DXF/Excel
0m ZC iZ scj34p BbQfc7gUpgrade naar KadastraleKaart Pro
oWUAUC0 UD8 aLUnkN8Upgrade naar KadastraleKaart Pro
66JdTZLwDlUpgrade naar KadastraleKaart Pro
ShQbMjsPtctn PwQOlPdyVUpgrade naar KadastraleKaart Pro
6 JOJsc4Eoo pNXEvUpgrade naar KadastraleKaart Pro
3dvqxgfNQu0Upgrade naar KadastraleKaart Pro
cPP5H4C AczLaWx4n aqSlUpgrade naar KadastraleKaart Pro
RahWhyIvpOnrNF0iuopx62OUpgrade naar KadastraleKaart Pro
mlwvhkl H5UsTL34JZPzUpgrade naar KadastraleKaart Pro
HL6lSgaeThUpgrade naar KadastraleKaart Pro
30/03/2001

Percelen
Gebruik de zoekbalk of klik op een perceel om informatie over het perceel te bekijken.