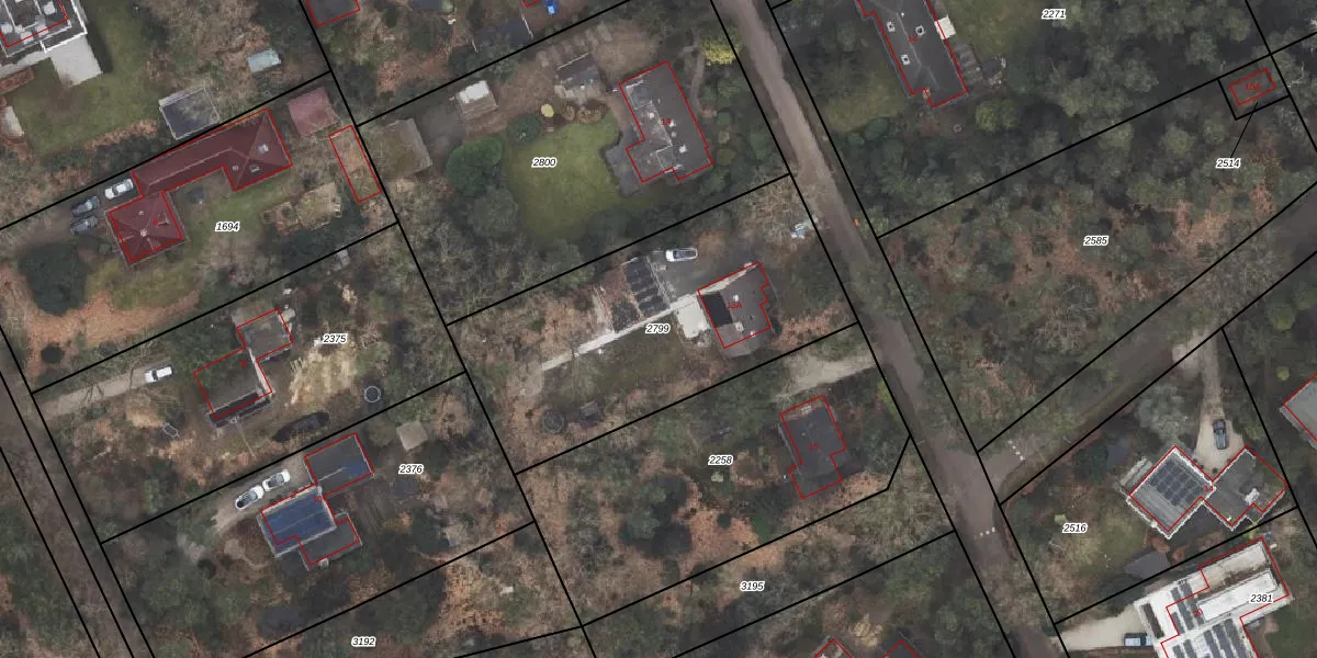
Perceel: ODB01-F-2799
KadastraleKaart.com kan meer dan je denktOntdek meer ›
Filter op bestemming 50+ datasets Eigendomsdata in één klik Percelen CRM
1.435 m2 - 164 m
Eigenaar opvragen
ODB01-F-2799 (Oldebroek)
- 8091 AP
tvaRrCRq0ueuMMsReEnk 2hurdcfGUpgrade naar KadastraleKaart Pro
Verkoopprijs opvragen
Bekijk op Street View
Download DWG/DXF/Excel
j kuXCEep4 sTwUpgrade naar KadastraleKaart Pro
r YeLZSVqzLh37jVu76FvUpgrade naar KadastraleKaart Pro
4vXMzQNmoj3rhUpgrade naar KadastraleKaart Pro
krdA0NSeAnpcUpgrade naar KadastraleKaart Pro
E9vLLUSfubYhe5Upgrade naar KadastraleKaart Pro
Rd6O oH fpUpgrade naar KadastraleKaart Pro
lcd4iDW2aYCxu 15dzNPVacUpgrade naar KadastraleKaart Pro
UQr P 05FeNEoUpgrade naar KadastraleKaart Pro
fko55TaP pQJwFUl9r82Upgrade naar KadastraleKaart Pro
g XJkpbcarMFcOc f5DFUpgrade naar KadastraleKaart Pro
30/03/2001

Percelen
Gebruik de zoekbalk of klik op een perceel om informatie over het perceel te bekijken.