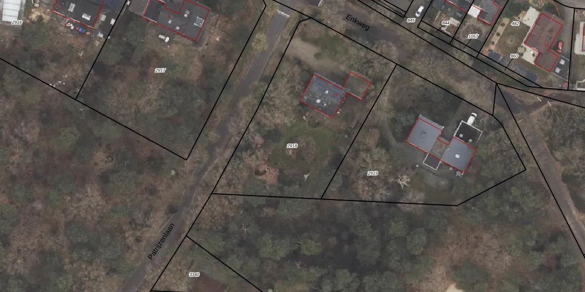
Perceel: ODB01-F-2918
KadastraleKaart.com kan meer dan je denktOntdek meer ›
Filter op bestemming 50+ datasets Eigendomsdata in één klik Percelen CRM
2.110 m2 - 194 m
Eigenaar opvragen
ODB01-F-2918 (Oldebroek)
- 8091 BK
zmUvX xvJ6 2I0mA2cYCYNaPqUpgrade naar KadastraleKaart Pro
Verkoopprijs opvragen
Bekijk op Street View
Download DWG/DXF/Excel
FmuCkII T I6vKgsGqKBuUpgrade naar KadastraleKaart Pro
sJO9S8kCCOS35GUpgrade naar KadastraleKaart Pro
L7ZQAmzanafcrFhVTr6Upgrade naar KadastraleKaart Pro
Y6s EcytUpgrade naar KadastraleKaart Pro
Rw8PpdeWYkUpgrade naar KadastraleKaart Pro
e2t8ER65C7IntaUUpgrade naar KadastraleKaart Pro
0A DKT3q1 TpXNUpgrade naar KadastraleKaart Pro
v kxpQkBkYUpgrade naar KadastraleKaart Pro
gzHkteqa W Upgrade naar KadastraleKaart Pro
k2 nFkB2ydWTUpgrade naar KadastraleKaart Pro
03/04/2001

Percelen
Gebruik de zoekbalk of klik op een perceel om informatie over het perceel te bekijken.