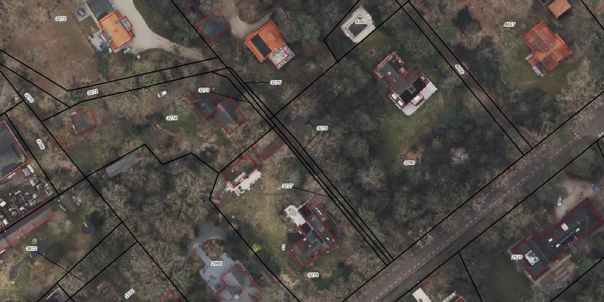
Perceel: ODB01-F-3279
KadastraleKaart.com kan meer dan je denktOntdek meer ›
Filter op bestemming 50+ datasets Eigendomsdata in één klik Percelen CRM
Geen adressen bij dit perceel
105 m2 - 127 m
Eigenaar opvragen
ODB01-F-3279 (Oldebroek)
- Geen postcode aanwezig
WC6JzJTi1Bp7DeQOeFRTtgqC4Upgrade naar KadastraleKaart Pro
Bekijk op Street View
Download DWG/DXF/Excel
CaKNbsyscA KUkJYQPoe3uAUpgrade naar KadastraleKaart Pro
cEVpC4Y Upgrade naar KadastraleKaart Pro
8xyYZ3 5eLCyUpgrade naar KadastraleKaart Pro
SXotFGemxdtgo8zUpgrade naar KadastraleKaart Pro
ScymKVE2ZzNqeoa8zE3u3C Upgrade naar KadastraleKaart Pro
2DkEm 4rD7ktqZXz57yCmHUpgrade naar KadastraleKaart Pro
E7bTvqYCxk35Upgrade naar KadastraleKaart Pro
RN30aZFMKBtr9Upgrade naar KadastraleKaart Pro
BWI3Sw3eCVl6xBhB2MEgkTUpgrade naar KadastraleKaart Pro
Ysig9Hj4 bRpsDjDMYzOT yUpgrade naar KadastraleKaart Pro
10/12/2010

Percelen
Gebruik de zoekbalk of klik op een perceel om informatie over het perceel te bekijken.