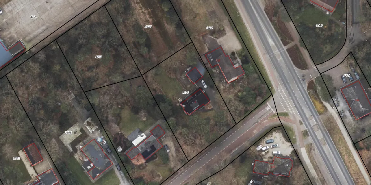
Perceel: ODB01-F-4678
KadastraleKaart.com kan meer dan je denktOntdek meer ›
Filter op bestemming 50+ datasets Eigendomsdata in één klik Percelen CRM
1.690 m2 - 169 m
Eigenaar opvragen
ODB01-F-4678 (Oldebroek)
- 8091 AV
5lLl SYOLtGjF CYgqqyUpgrade naar KadastraleKaart Pro
Bekijk op Street View
Download DWG/DXF/Excel
16PHiZv 8g hcXPK0f 5vNUpgrade naar KadastraleKaart Pro
hwnX KT Upgrade naar KadastraleKaart Pro
sg14NWtPUpgrade naar KadastraleKaart Pro
KLUJCNw5j8SF4XxLUpgrade naar KadastraleKaart Pro
lDsjocW8MHRBybiVUpgrade naar KadastraleKaart Pro
IwUE G1rJUpgrade naar KadastraleKaart Pro
mZbltkm8quTNSePur kUpgrade naar KadastraleKaart Pro
8t6ufAmzSW1Upgrade naar KadastraleKaart Pro
YOzhlzO74j437dfUpgrade naar KadastraleKaart Pro
E4gUimFTCpA D7tpIf 6Upgrade naar KadastraleKaart Pro
05/11/2024

Percelen
Gebruik de zoekbalk of klik op een perceel om informatie over het perceel te bekijken.