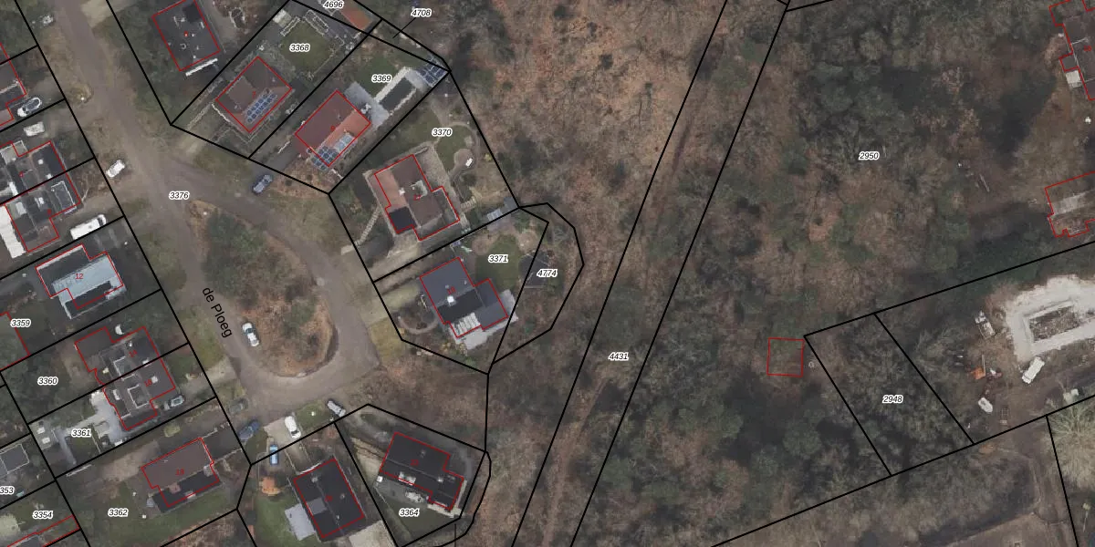
Perceel: ODB01-F-4774
KadastraleKaart.com kan meer dan je denktOntdek meer ›
Filter op bestemming 50+ datasets Eigendomsdata in één klik Percelen CRM
Geen adressen bij dit perceel
199 m2 - 78 m
Eigenaar opvragen
ODB01-F-4774 (Oldebroek)
- Geen postcode aanwezig
1E62OWjsugF pNihUpgrade naar KadastraleKaart Pro
Bekijk op Street View
Download DWG/DXF/Excel
g tV7DJt T7CgSUpgrade naar KadastraleKaart Pro
AD6UYfA4yzw4weUpgrade naar KadastraleKaart Pro
ucI0vJZ8Ok B LD1HiUpgrade naar KadastraleKaart Pro
pI xj3F bSUpgrade naar KadastraleKaart Pro
haykIA QrqNUpgrade naar KadastraleKaart Pro
CiWBSzag5BCNqED JVtReDUpgrade naar KadastraleKaart Pro
K 3TOU1eyaZoUpgrade naar KadastraleKaart Pro
ow4 sfgD5bEKbUGnFUpgrade naar KadastraleKaart Pro
K8BjgPa6DcSXE 20PaUpgrade naar KadastraleKaart Pro
XYRcZPKgSp pqXfsvZUpgrade naar KadastraleKaart Pro
23/10/2023

Percelen
Gebruik de zoekbalk of klik op een perceel om informatie over het perceel te bekijken.