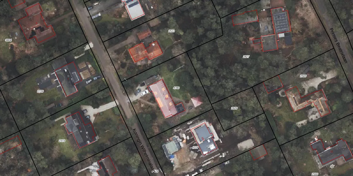
Perceel: ODB01-F-4780
KadastraleKaart.com kan meer dan je denktOntdek meer ›
Filter op bestemming 50+ datasets Eigendomsdata in één klik Percelen CRM
1.445 m2 - 153 m
Eigenaar opvragen
ODB01-F-4780 (Oldebroek)
- 8091 AR
WMf4skxJGlENocLrfFMSdeRUpgrade naar KadastraleKaart Pro
Verkoopprijs opvragen
Bekijk op Street View
Download DWG/DXF/Excel
eSAKmBvNJUpgrade naar KadastraleKaart Pro
ON4p05 1pnAUpgrade naar KadastraleKaart Pro
k HmLQpAENBVg8Drlw 0Upgrade naar KadastraleKaart Pro
JDUYnB1cN8oRTFkdjMdUpgrade naar KadastraleKaart Pro
0fsNDmjk Upgrade naar KadastraleKaart Pro
v LiHh70NYVS8whUpgrade naar KadastraleKaart Pro
nBmBkyg4 a9goEUpgrade naar KadastraleKaart Pro
OYD5FUO1KuVoHqv57QyUpgrade naar KadastraleKaart Pro
MY6c q wR0Z82FUpgrade naar KadastraleKaart Pro
klFYRvVJ9Upgrade naar KadastraleKaart Pro
20/11/2023

Percelen
Gebruik de zoekbalk of klik op een perceel om informatie over het perceel te bekijken.