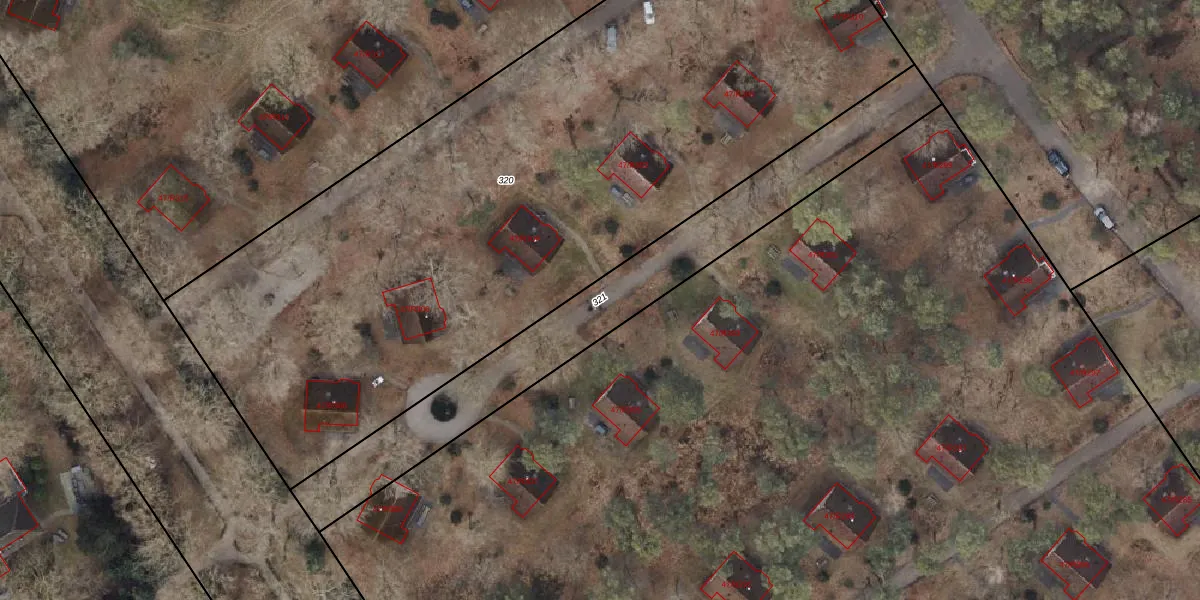
Perceel: ODB01-G-321
KadastraleKaart.com kan meer dan je denktOntdek meer ›
Filter op bestemming 50+ datasets Eigendomsdata in één klik Percelen CRM
Geen adressen bij dit perceel
1.000 m2 - 269 m
Eigenaar opvragen
ODB01-G-321 (Oldebroek)
- Geen postcode aanwezig
jMR5T Vwx kJoHh6FEDUpgrade naar KadastraleKaart Pro
Bekijk op Street View
Download DWG/DXF/Excel
U3xm nAcL0OChRAK K6Upgrade naar KadastraleKaart Pro
rZJ90891hOUpgrade naar KadastraleKaart Pro
Cs LY j97XbUpgrade naar KadastraleKaart Pro
vBVK6hkdDwdajUpgrade naar KadastraleKaart Pro
Av GrCxvP8XmtW F6Pgw2Upgrade naar KadastraleKaart Pro
92tjd2SNAHwUpgrade naar KadastraleKaart Pro
4sp1 78ySUpgrade naar KadastraleKaart Pro
gUrRr4aZnxUpgrade naar KadastraleKaart Pro
kVl tl tgOJAkcvASS92Upgrade naar KadastraleKaart Pro
Wo BNT7oQLUpgrade naar KadastraleKaart Pro
22/01/1998

Percelen
Gebruik de zoekbalk of klik op een perceel om informatie over het perceel te bekijken.