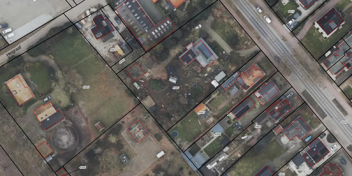
Perceel: ODB01-M-4986
KadastraleKaart.com kan meer dan je denktOntdek meer ›
Filter op bestemming 50+ datasets Eigendomsdata in één klik Percelen CRM
2.870 m2 - 224 m
Eigenaar opvragen
ODB01-M-4986 (Oldebroek)
- 8091 CM
J1buqcCpcB1P4s1 i4Rak6B8Npr3l3Upgrade naar KadastraleKaart Pro
Verkoopprijs opvragen
Bekijk op Street View
Download DWG/DXF/Excel
sSWh8nFwVfKhjjB4Upgrade naar KadastraleKaart Pro
8p vh4TXOQIjUpgrade naar KadastraleKaart Pro
3fGHTD5 Iniipqo Upgrade naar KadastraleKaart Pro
PlYA5jT4BkqxKnsUpgrade naar KadastraleKaart Pro
DB UytQtPrpCN SiUpgrade naar KadastraleKaart Pro
pS Y6M3np1OUpgrade naar KadastraleKaart Pro
8Mg ax07 e M9Upgrade naar KadastraleKaart Pro
xZ D7 jh67bz3 9fmj6gUpgrade naar KadastraleKaart Pro
v4at q8 JXsi3HmK V2xhUpgrade naar KadastraleKaart Pro
6BW O5ELIk9XUpgrade naar KadastraleKaart Pro
12/12/2013

Percelen
Gebruik de zoekbalk of klik op een perceel om informatie over het perceel te bekijken.