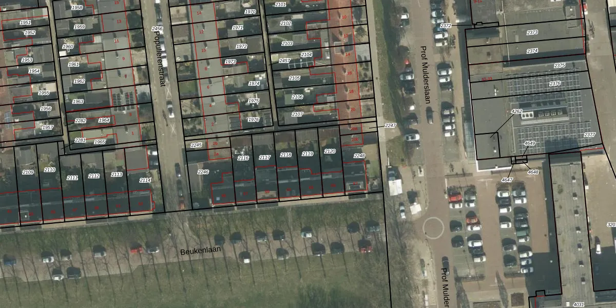
Perceel: ODB02-B-2119
KadastraleKaart.com kan meer dan je denktOntdek meer ›
Filter op bestemming 50+ datasets Eigendomsdata in één klik Percelen CRM
163 m2 - 60 m
Eigenaar opvragen
ODB02-B-2119 (Oudenbosch)
- 4731 CE
7nmfgJJ3wl ch97teyYlg4J7Upgrade naar KadastraleKaart Pro
Bekijk op Street View
Download DWG/DXF/Excel
1iyy 1bPz1 ul2Upgrade naar KadastraleKaart Pro
U7qrQFUQsh75FhJxUpgrade naar KadastraleKaart Pro
Rqs5iZrg 3 bUpgrade naar KadastraleKaart Pro
uswiBiS0LylTg Y8 T r ZUpgrade naar KadastraleKaart Pro
abGu1 mjUpgrade naar KadastraleKaart Pro
AaLKhKU bEMvMDquVrj XYsUpgrade naar KadastraleKaart Pro
sVNmhXfXR0fK TMd BgsttUpgrade naar KadastraleKaart Pro
7PDv65h0 Z5ZUpgrade naar KadastraleKaart Pro
21a0C sQ4 nUpgrade naar KadastraleKaart Pro
gmwHOZ R1qvpGI44rGHaUpgrade naar KadastraleKaart Pro
24/09/2009

Percelen
Gebruik de zoekbalk of klik op een perceel om informatie over het perceel te bekijken.