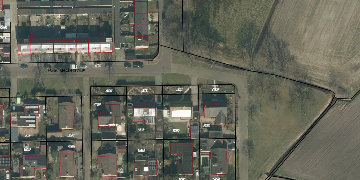
Perceel: ODB02-B-4789
KadastraleKaart.com kan meer dan je denktOntdek meer ›
Filter op bestemming 50+ datasets Eigendomsdata in één klik Percelen CRM
Geen adressen bij dit perceel
99 m2 - 50 m
Eigenaar opvragen
ODB02-B-4789 (Oudenbosch)
- Geen postcode aanwezig
ML36jDj1459GfGZsuoiKtWTFPfUpgrade naar KadastraleKaart Pro
Bekijk op Street View
Download DWG/DXF/Excel
TvhS9HVgaBhAYrUpgrade naar KadastraleKaart Pro
CMb3EpgfUpgrade naar KadastraleKaart Pro
xdA 7lo7FhUG5Upgrade naar KadastraleKaart Pro
LQ3vA9VfEIKD77XUpgrade naar KadastraleKaart Pro
CihyF6G4wer Upgrade naar KadastraleKaart Pro
HDc fgklJUpgrade naar KadastraleKaart Pro
9KHS6iwmN Upgrade naar KadastraleKaart Pro
dyDHHo6nqSi7FOSIotosUpgrade naar KadastraleKaart Pro
0JF15g iyk5Upgrade naar KadastraleKaart Pro
urCrBDNnVbWcUpgrade naar KadastraleKaart Pro
24/09/2009

Percelen
Gebruik de zoekbalk of klik op een perceel om informatie over het perceel te bekijken.