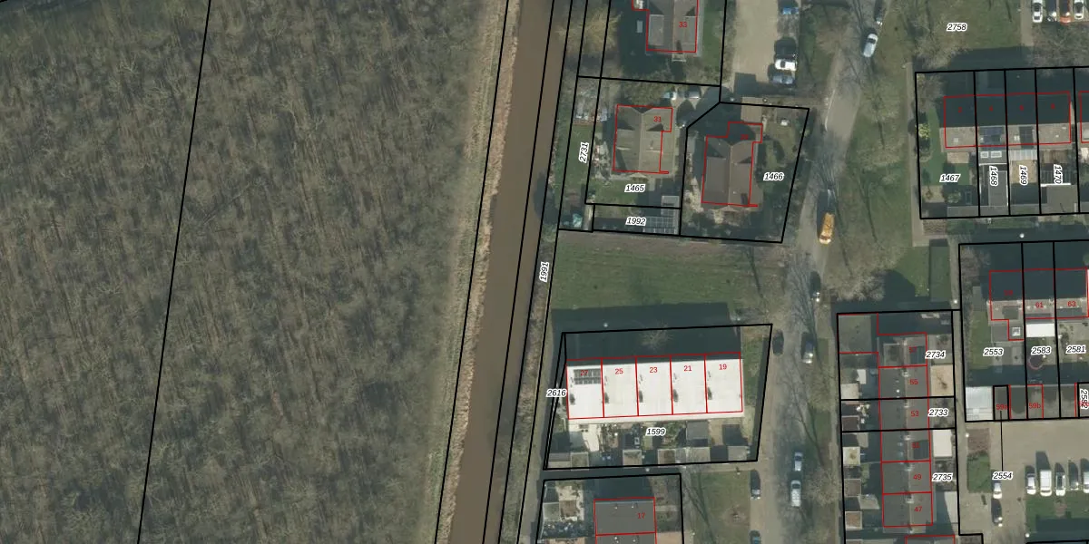
Perceel: ODB02-C-1991
KadastraleKaart.com kan meer dan je denktOntdek meer ›
Filter op bestemming 50+ datasets Eigendomsdata in één klik Percelen CRM
Geen adressen bij dit perceel
570 m2 - 366 m
Eigenaar opvragen
ODB02-C-1991 (Oudenbosch)
- Geen postcode aanwezig
KJRo5G4ODJa84I46 8 UkUpgrade naar KadastraleKaart Pro
Bekijk op Street View
Download DWG/DXF/Excel
DO9SqOg8n 8PzR DrjLxUUpgrade naar KadastraleKaart Pro
qqhfhrDfba6jVIQFmFqEJ54Upgrade naar KadastraleKaart Pro
dQk5i8pHiuthUpgrade naar KadastraleKaart Pro
y818pcCi2 7aQ8 EO4QUpgrade naar KadastraleKaart Pro
KMZBH TNUpgrade naar KadastraleKaart Pro
5Khbn0pX8ZqQb2WKQQrt01Upgrade naar KadastraleKaart Pro
tqKe Ln8icgtKPswtUpgrade naar KadastraleKaart Pro
cvuneizl6Upgrade naar KadastraleKaart Pro
yNoYp5e 51B4xUpgrade naar KadastraleKaart Pro
eGI85uzoUpgrade naar KadastraleKaart Pro
10/08/2017

Percelen
Gebruik de zoekbalk of klik op een perceel om informatie over het perceel te bekijken.