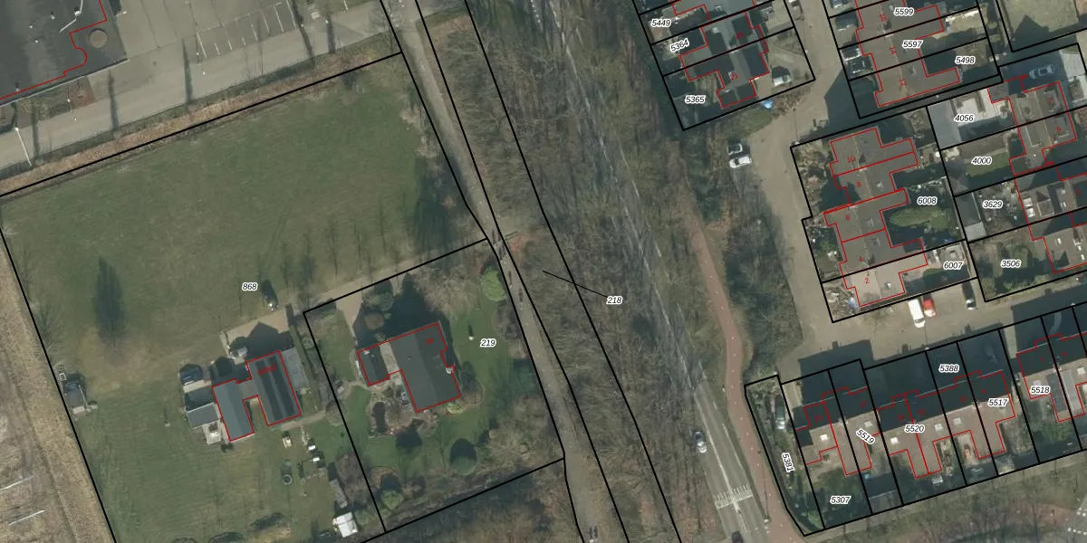
Perceel: ODB02-F-218
KadastraleKaart.com kan meer dan je denktOntdek meer ›
Filter op bestemming 50+ datasets Eigendomsdata in één klik Percelen CRM
Geen adressen bij dit perceel
2.035 m2 - 477 m
Eigenaar opvragen
ODB02-F-218 (Oudenbosch)
- Geen postcode aanwezig
kxrenHR9VThT8BZ7UUpgrade naar KadastraleKaart Pro
Bekijk op Street View
Download DWG/DXF/Excel
9T8FTVLJZkUpgrade naar KadastraleKaart Pro
z xlCfAsLhUpgrade naar KadastraleKaart Pro
K5c t N Hm ZbXUHzNtuotUpgrade naar KadastraleKaart Pro
5OKVxdJXDOunUpgrade naar KadastraleKaart Pro
XzsTLsqq4wGxzpZUpgrade naar KadastraleKaart Pro
MOZoCH6WwpTRZW9Upgrade naar KadastraleKaart Pro
ok c7KmyUpgrade naar KadastraleKaart Pro
XUlej1ivxxV064mLUpgrade naar KadastraleKaart Pro
8zrBjImS1D0WJt vfVUpgrade naar KadastraleKaart Pro
8PhFhewADMv EUpgrade naar KadastraleKaart Pro
12/10/2011

Percelen
Gebruik de zoekbalk of klik op een perceel om informatie over het perceel te bekijken.