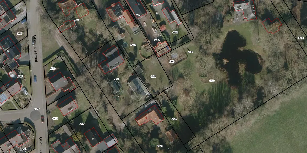
Perceel: ODB03-A-4988
KadastraleKaart.com kan meer dan je denktOntdek meer ›
Filter op bestemming 50+ datasets Eigendomsdata in één klik Percelen CRM
Geen adressen bij dit perceel
391 m2 - 81 m
Eigenaar opvragen
ODB03-A-4988 (Oldeberkoop)
- Geen postcode aanwezig
MAjA8eXWZI dFrSY5bDmDUpgrade naar KadastraleKaart Pro
Bekijk op Street View
Download DWG/DXF/Excel
iiJO 0cE3oysLkqatmUpgrade naar KadastraleKaart Pro
1 8DEH HU kBYwuvlQUpgrade naar KadastraleKaart Pro
kDH sZWUKUpgrade naar KadastraleKaart Pro
BL2XqmB2pYMEaUWlZq nVENUpgrade naar KadastraleKaart Pro
D92aoBVcpj1 XwPqYtaUpgrade naar KadastraleKaart Pro
UsjaHjr5M q 9btDfe 6Upgrade naar KadastraleKaart Pro
1a gb PKp8ZvTSlKUpgrade naar KadastraleKaart Pro
39gcE1xvbW0 UY mBdc1E Upgrade naar KadastraleKaart Pro
X53kclGxd N 9iuUpgrade naar KadastraleKaart Pro
mGEtwNC4vHLAoqlUpgrade naar KadastraleKaart Pro
13/09/2024

Percelen
Gebruik de zoekbalk of klik op een perceel om informatie over het perceel te bekijken.