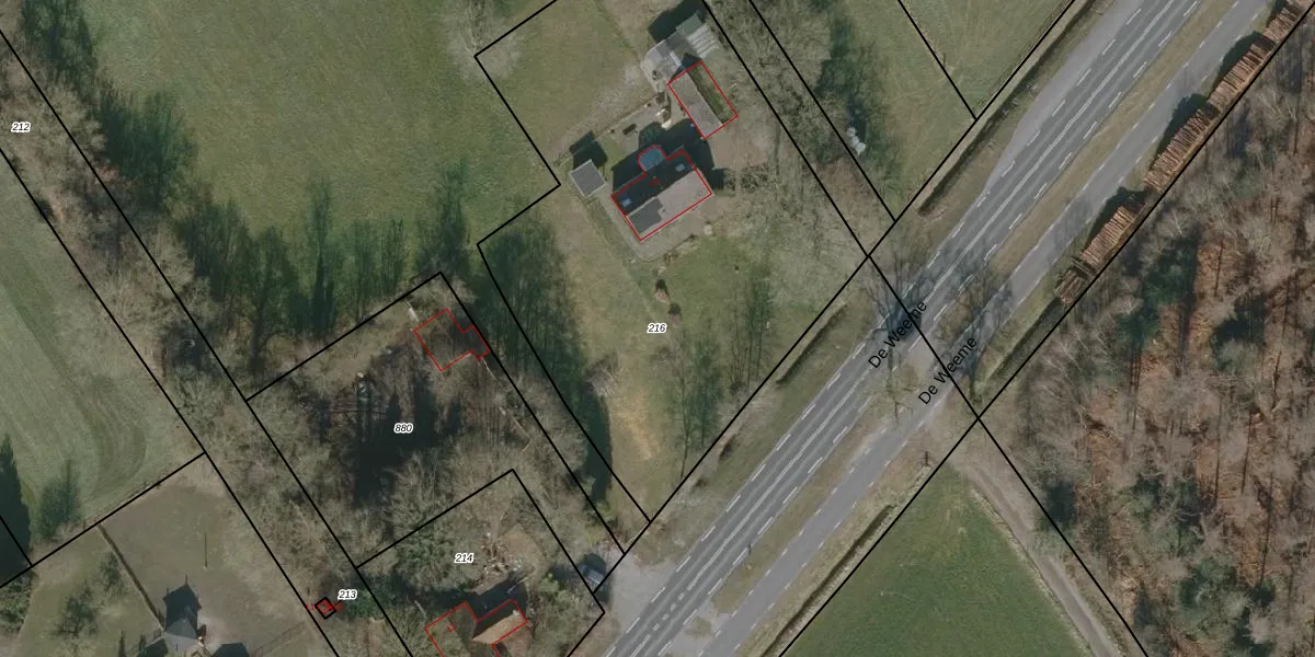
Perceel: ODB03-E-216
KadastraleKaart.com kan meer dan je denktOntdek meer ›
Filter op bestemming 50+ datasets Eigendomsdata in één klik Percelen CRM
2.950 m2 - 234 m
Eigenaar opvragen
ODB03-E-216 (Oldeberkoop)
- 8421 DB
0JHqxPWizak1u2D4uxUpgrade naar KadastraleKaart Pro
Verkoopprijs opvragen
Bekijk op Street View
Download DWG/DXF/Excel
vI ZT f4Upgrade naar KadastraleKaart Pro
vwXfkDPmf pUpgrade naar KadastraleKaart Pro
qnnPsidnT1Z daUpgrade naar KadastraleKaart Pro
EPbM 0BxblJDtNKkR4FTBUpgrade naar KadastraleKaart Pro
ljeQJsM2Upgrade naar KadastraleKaart Pro
Am7lwMt828irWfUpgrade naar KadastraleKaart Pro
Bd1 paRAUpgrade naar KadastraleKaart Pro
c4wZO2R5lluEw3lPUpgrade naar KadastraleKaart Pro
Q0FmN liqQ 0YIQ1Zq D NUpgrade naar KadastraleKaart Pro
utpFxW1DVV E3g8eBmcqgUpgrade naar KadastraleKaart Pro
02/08/2001

Percelen
Gebruik de zoekbalk of klik op een perceel om informatie over het perceel te bekijken.