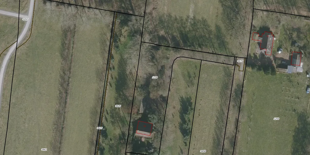
Perceel: ODG00-F-1239
1.720 m2 - 262 m
Eigenaar opvragen
ODG00-F-1239 (Oudega)
- 9218 VA
CKgwbYUHwz PIdxW7E7vie Upgrade naar KadastraleKaart Pro
Bekijk op Street View
Download DWG/DXF/Excel
wNaLOOtG4VUpgrade naar KadastraleKaart Pro
XrbSDHJkH1IUpgrade naar KadastraleKaart Pro
R0DDtICbKRYUFjmXmPNUpgrade naar KadastraleKaart Pro
IuEtOKQb7Pw9mfFiFdwWVFgUpgrade naar KadastraleKaart Pro
OQE3G XVPjR6zbXnUhLjUpgrade naar KadastraleKaart Pro
ZxUVPv7QfsHUpgrade naar KadastraleKaart Pro
n1 Q6ddJB3jRZAYHFUpgrade naar KadastraleKaart Pro
aaOH9fntYeNh dToeqv45Upgrade naar KadastraleKaart Pro
zdGDDTl9ozlUpgrade naar KadastraleKaart Pro
e2hFaObuneV RotUpgrade naar KadastraleKaart Pro
08/12/2021

Percelen
Gebruik de zoekbalk of klik op een perceel om informatie over het perceel te bekijken.