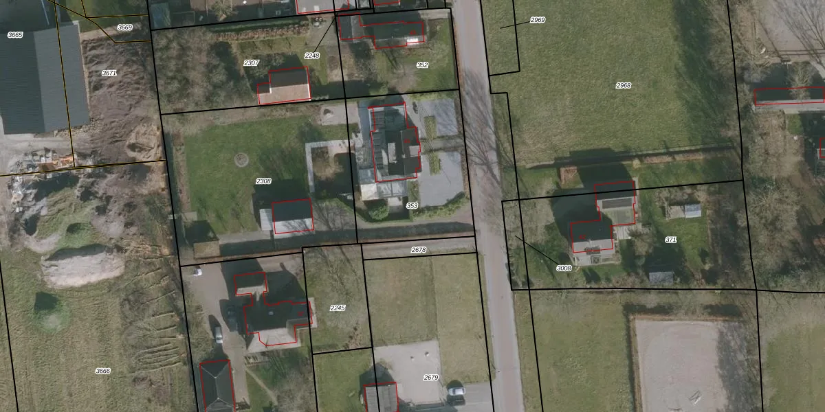
Perceel: ODG00-F-353
KadastraleKaart.com kan meer dan je denktOntdek meer ›
Filter op bestemming 50+ datasets Eigendomsdata in één klik Percelen CRM
990 m2 - 128 m
Eigenaar opvragen
ODG00-F-353 (Oudega)
- 9219 VM
MQnyvW2aPEakg0 TlUpgrade naar KadastraleKaart Pro
Verkoopprijs opvragen
Bekijk op Street View
Download DWG/DXF/Excel
0x DmG8 GSx1ZBbs GHNUpgrade naar KadastraleKaart Pro
xX23Zd6lnuT5gNU YmWUpgrade naar KadastraleKaart Pro
qPnNSw6jb5V9 6K7VTb3Upgrade naar KadastraleKaart Pro
1ymYQoJSuUUpgrade naar KadastraleKaart Pro
f0I7SOElOUZuUpgrade naar KadastraleKaart Pro
oDy7Q5cP KwlneRUpgrade naar KadastraleKaart Pro
RPZyq3ZPjiUpgrade naar KadastraleKaart Pro
9siO9ls0 sP 4LRBGCrlUpgrade naar KadastraleKaart Pro
aaPkx1OtUpgrade naar KadastraleKaart Pro
HJ0aq6dGzL3ypV0nUpgrade naar KadastraleKaart Pro
05/11/2004

Percelen
Gebruik de zoekbalk of klik op een perceel om informatie over het perceel te bekijken.