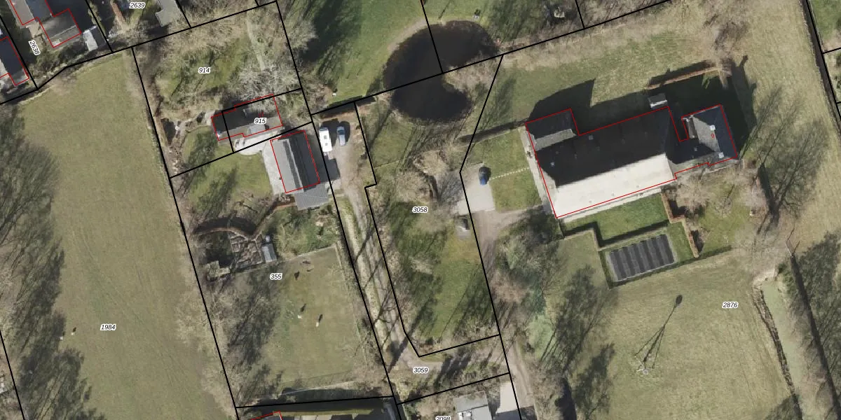
Perceel: ODK01-B-3058
KadastraleKaart.com kan meer dan je denktOntdek meer ›
Filter op bestemming 50+ datasets Eigendomsdata in één klik Percelen CRM
Geen adressen bij dit perceel
1.605 m2 - 193 m
Eigenaar opvragen
ODK01-B-3058 (Oldekerk)
- Geen postcode aanwezig
mrf 3ITxU099b89A1MynkUpgrade naar KadastraleKaart Pro
Bekijk op Street View
Download DWG/DXF/Excel
oaBwCWu5ZCfqUpgrade naar KadastraleKaart Pro
ckeN D7sQy FVVUpgrade naar KadastraleKaart Pro
Pzb DLAnjK5Upgrade naar KadastraleKaart Pro
rfTgrUklAw29DCsxTEQikUpgrade naar KadastraleKaart Pro
H00aEqd F6b ZKgbXU 48Upgrade naar KadastraleKaart Pro
cAG36Uk1vUpgrade naar KadastraleKaart Pro
IlxPwFG6m92fTY8HlwUpgrade naar KadastraleKaart Pro
h5kPdupI9N5BPUpgrade naar KadastraleKaart Pro
JVE6 834HyOPzJXEyUpgrade naar KadastraleKaart Pro
J5sM1Bm4TeULUpgrade naar KadastraleKaart Pro
22/10/2019

Percelen
Gebruik de zoekbalk of klik op een perceel om informatie over het perceel te bekijken.