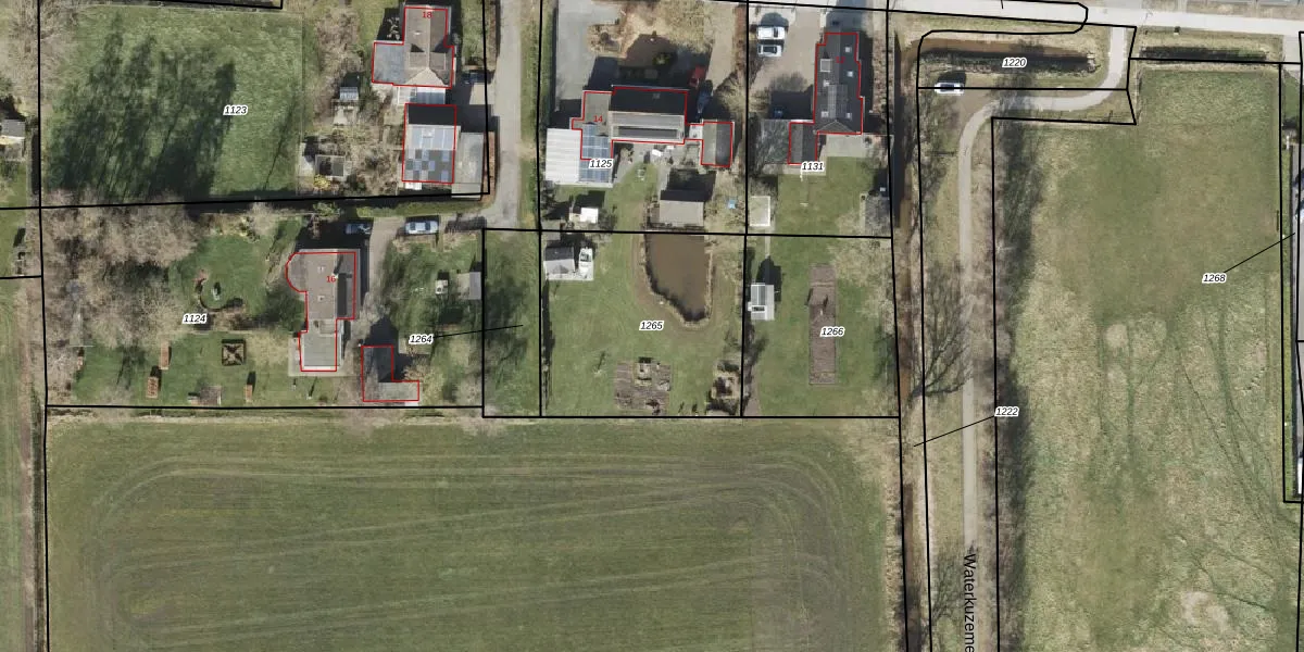
Perceel: ODK01-C-1265
KadastraleKaart.com kan meer dan je denktOntdek meer ›
Filter op bestemming 50+ datasets Eigendomsdata in één klik Percelen CRM
Geen adressen bij dit perceel
895 m2 - 119 m
Eigenaar opvragen
ODK01-C-1265 (Oldekerk)
- Geen postcode aanwezig
U8T dd 8b kv5JHvadJUFmmUpgrade naar KadastraleKaart Pro
Bekijk op Street View
Download DWG/DXF/Excel
IlwqNZTQGEokpUpgrade naar KadastraleKaart Pro
QSDhv6kGrRfPYUpgrade naar KadastraleKaart Pro
GhvMfTVMx1EDA VR6jmGUpgrade naar KadastraleKaart Pro
S6zoXtLrRlUpgrade naar KadastraleKaart Pro
EkoqlgWUSUpgrade naar KadastraleKaart Pro
spuXYePF8Upgrade naar KadastraleKaart Pro
Gw9OTXCFWseOHpUpgrade naar KadastraleKaart Pro
S0fJjvC gTZidbIs pMxZGUpgrade naar KadastraleKaart Pro
9kCvh9uArw 9vDO41PUpgrade naar KadastraleKaart Pro
3IRIrkkKGUYo1f8SutCUpgrade naar KadastraleKaart Pro
04/04/2006

Percelen
Gebruik de zoekbalk of klik op een perceel om informatie over het perceel te bekijken.