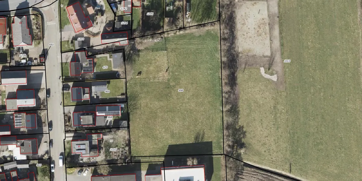
Perceel: ODK01-C-998
KadastraleKaart.com kan meer dan je denktOntdek meer ›
Filter op bestemming 50+ datasets Eigendomsdata in één klik Percelen CRM
Geen adressen bij dit perceel
3.915 m2 - 288 m
Eigenaar opvragen
ODK01-C-998 (Oldekerk)
- Geen postcode aanwezig
NDPn1 nT c7JYsDlUve3YgyCOeUpgrade naar KadastraleKaart Pro
Bekijk op Street View
Download DWG/DXF/Excel
aW7IBbyZxRSX8vinUpgrade naar KadastraleKaart Pro
NVCkYS M7ZaL6cIUpgrade naar KadastraleKaart Pro
kxQG PvBxHy oUpgrade naar KadastraleKaart Pro
M sIoQrRJBmUpgrade naar KadastraleKaart Pro
kw9um7JEngHVMGEBwlpFcUpgrade naar KadastraleKaart Pro
wDpr5MG7ijKXl7Upgrade naar KadastraleKaart Pro
cv6 sWexja7EObj sBfVUpgrade naar KadastraleKaart Pro
7617NPkCjBcUpgrade naar KadastraleKaart Pro
e yJWDposow2dhLXIs McxmUpgrade naar KadastraleKaart Pro
36R4FMMpWFJUpgrade naar KadastraleKaart Pro
14/11/1997

Percelen
Gebruik de zoekbalk of klik op een perceel om informatie over het perceel te bekijken.