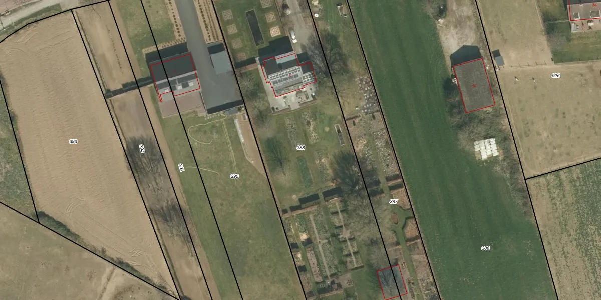
Perceel: ODL00-F-388
KadastraleKaart.com kan meer dan je denktOntdek meer ›
Filter op bestemming 50+ datasets Eigendomsdata in één klik Percelen CRM
4.707 m2 - 402 m
Eigenaar opvragen
ODL00-F-388 (Sint Odilienberg)
- 6077 HJ
DnU HciBRsLGfRAXyT3P4NfxeUpgrade naar KadastraleKaart Pro
Verkoopprijs opvragen
Bekijk op Street View
Download DWG/DXF/Excel
bkzJKLz1Jf 3Upgrade naar KadastraleKaart Pro
WHgssERgjNzsf L8Upgrade naar KadastraleKaart Pro
YetnG8 KzNF 3B4uTxUpgrade naar KadastraleKaart Pro
7z9IeHNFoKno1SCPDDnUpgrade naar KadastraleKaart Pro
x ScaxMHKvnvUpgrade naar KadastraleKaart Pro
MOcccGVMbiz2CUpgrade naar KadastraleKaart Pro
jXRqQN6SAj2Upgrade naar KadastraleKaart Pro
PcANWDbzFUpgrade naar KadastraleKaart Pro
Jjg DS0aw ZVYWwEnUpgrade naar KadastraleKaart Pro
OzbAhLEsstn43xgA0J0BO5Upgrade naar KadastraleKaart Pro
03/06/2009

Percelen
Gebruik de zoekbalk of klik op een perceel om informatie over het perceel te bekijken.