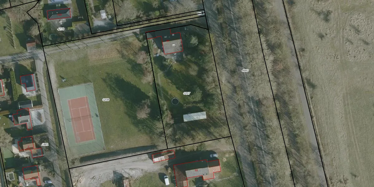
Perceel: ODP01-B-3207
KadastraleKaart.com kan meer dan je denktOntdek meer ›
Filter op bestemming 50+ datasets Eigendomsdata in één klik Percelen CRM
2.115 m2 - 190 m
Eigenaar opvragen
ODP01-B-3207 (Ouddorp)
- 3253 BS
haDELSyjEBxT0vDV BaOnqd2v6DQUpgrade naar KadastraleKaart Pro
Verkoopprijs opvragen
Bekijk op Street View
Download DWG/DXF/Excel
otKt9W RP V7tPzshJ0dK tUpgrade naar KadastraleKaart Pro
n5tiqK y1 Y dUpgrade naar KadastraleKaart Pro
V0nJzBzXa Upgrade naar KadastraleKaart Pro
I 8CI4w sLxijuK1 wC38iAUpgrade naar KadastraleKaart Pro
y9FAE4eQO zmV5KKRUpgrade naar KadastraleKaart Pro
oBP0K3f5I h4iUpgrade naar KadastraleKaart Pro
Fx Kji2 XjR63Ei9c7QQwviUpgrade naar KadastraleKaart Pro
5XEm7x94LLnwg5Ax0 1Upgrade naar KadastraleKaart Pro
ymKENQ9 Upgrade naar KadastraleKaart Pro
QjOdnu4UF oW2C0GUpgrade naar KadastraleKaart Pro
10/08/2016

Percelen
Gebruik de zoekbalk of klik op een perceel om informatie over het perceel te bekijken.