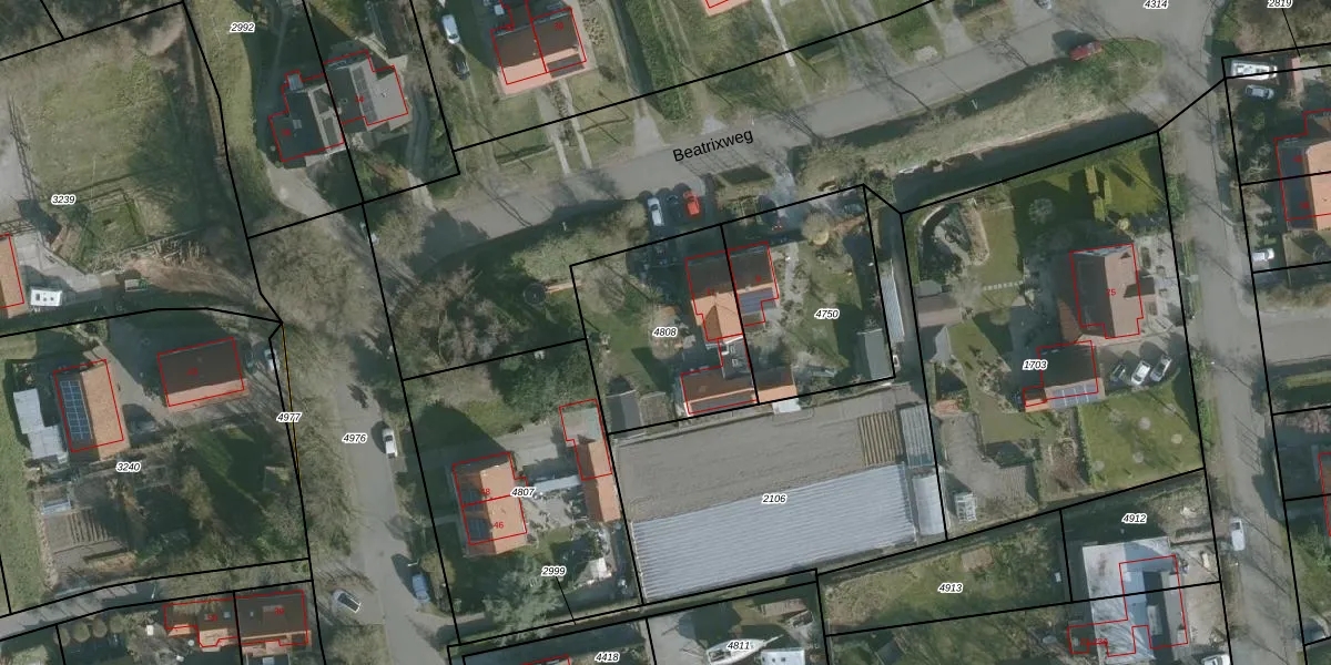
Perceel: ODP01-B-4808
KadastraleKaart.com kan meer dan je denktOntdek meer ›
Filter op bestemming 50+ datasets Eigendomsdata in één klik Percelen CRM
632 m2 - 100 m
Eigenaar opvragen
ODP01-B-4808 (Ouddorp)
- 3253 BB
aJx FrhHOHcvvm1Upgrade naar KadastraleKaart Pro
Verkoopprijs opvragen
Bekijk op Street View
Download DWG/DXF/Excel
yW5TaW19uyUpgrade naar KadastraleKaart Pro
w9H DFjNiUpgrade naar KadastraleKaart Pro
fE1Cf4Q 9Upgrade naar KadastraleKaart Pro
zOk2MvP k1E4HV BrDmUpgrade naar KadastraleKaart Pro
VDn LVEZ6O 3Upgrade naar KadastraleKaart Pro
LoiqG3SjUpgrade naar KadastraleKaart Pro
0yUxMwmpUUpgrade naar KadastraleKaart Pro
y5staSmz ILsDi fYUpgrade naar KadastraleKaart Pro
d4iyu7V7eo4zvpLXeyATUpgrade naar KadastraleKaart Pro
4J8dwJXJQ0NOUpgrade naar KadastraleKaart Pro
17/04/2020

Percelen
Gebruik de zoekbalk of klik op een perceel om informatie over het perceel te bekijken.