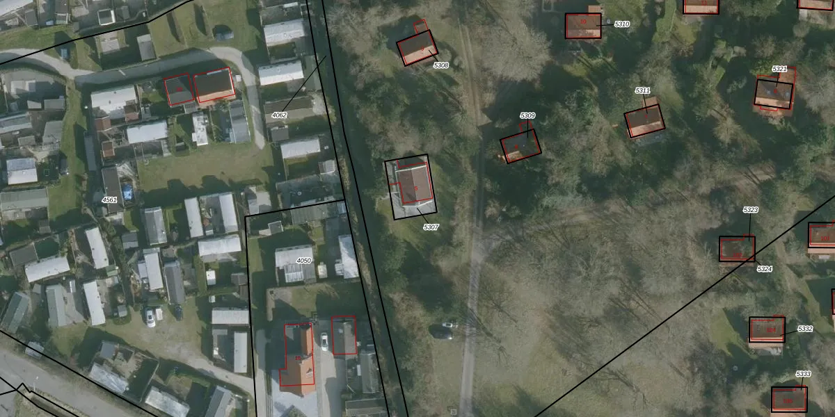
Perceel: ODP01-E-5307
KadastraleKaart.com kan meer dan je denktOntdek meer ›
Filter op bestemming 50+ datasets Eigendomsdata in één klik Percelen CRM
147 m2 - 49 m
Eigenaar opvragen
ODP01-E-5307 (Ouddorp)
- 3253 TZ
2AquUpCaxZIdrQB8 OYic6R D0w 9TUpgrade naar KadastraleKaart Pro
Verkoopprijs opvragen
Bekijk op Street View
Download DWG/DXF/Excel
6IEa SEtr7ZA7Upgrade naar KadastraleKaart Pro
kX0aZrl8Y Ov4fPUpgrade naar KadastraleKaart Pro
ZLie9858NSw4wLUpgrade naar KadastraleKaart Pro
uqx5Rt21c u Upgrade naar KadastraleKaart Pro
QG27KHlyl 4 Upgrade naar KadastraleKaart Pro
ixCf OgOhE XDFdx9oUpgrade naar KadastraleKaart Pro
lXSmUCrLnOPw SKu51IqMLUpgrade naar KadastraleKaart Pro
bZlRV TuTbU EA6Rb4Upgrade naar KadastraleKaart Pro
RHXp 5zrHi 4gN IOw8Upgrade naar KadastraleKaart Pro
rZqnI0cynpOwHR5 EpUpgrade naar KadastraleKaart Pro
15/01/2002

Percelen
Gebruik de zoekbalk of klik op een perceel om informatie over het perceel te bekijken.