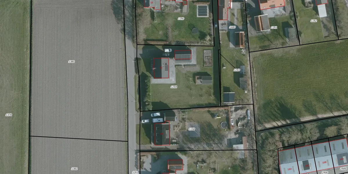
Perceel: ODP01-H-1244
1.817 m2 - 240 m
Eigenaar opvragen
ODP01-H-1244 (Ouddorp)
- 3253 XE
kmEFm0Yi5SE24hknt7PlYcUpgrade naar KadastraleKaart Pro
Bekijk op Street View
Download DWG/DXF/Excel
CiyjGWQ2hMBd7RvQVFzUpgrade naar KadastraleKaart Pro
Y3eeAuO3ZQQsUpgrade naar KadastraleKaart Pro
y9X9wJl3ChSKUpgrade naar KadastraleKaart Pro
yfXCzd7h8Uftt1Upgrade naar KadastraleKaart Pro
7pxdxEwBfxKZUpgrade naar KadastraleKaart Pro
PRNQI b4JxG5NGAcaUpgrade naar KadastraleKaart Pro
q3TRhw8HZtx6QeZ1mUjG8qUpgrade naar KadastraleKaart Pro
l yXUi 4aMRxaEUpgrade naar KadastraleKaart Pro
E874Do G9 pPjpXzF1cUpgrade naar KadastraleKaart Pro
XdOz 1n fzmXpl94n7VNQUpgrade naar KadastraleKaart Pro
28/05/2014

Percelen
Gebruik de zoekbalk of klik op een perceel om informatie over het perceel te bekijken.