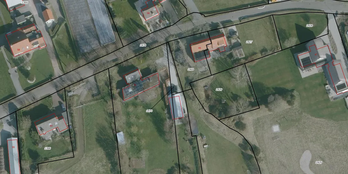
Perceel: ODP01-H-1470
Geen adressen bij dit perceel
125 m2 - 68 m
Eigenaar opvragen
ODP01-H-1470 (Ouddorp)
- Geen postcode aanwezig
cHGiAdnV RlvLaXAT Upgrade naar KadastraleKaart Pro
Bekijk op Street View
Download DWG/DXF/Excel
hGIT PLkJoRq9lyrfb Upgrade naar KadastraleKaart Pro
hToUO1VY8cGQuDXXOUpgrade naar KadastraleKaart Pro
sKuzZhdszway Qr8Upgrade naar KadastraleKaart Pro
jpJYsKb9Upgrade naar KadastraleKaart Pro
qY3w9 U ymUpgrade naar KadastraleKaart Pro
Yehx S094Bk1htnX5EhUpgrade naar KadastraleKaart Pro
DmcpOjc4OLHRS1 zSVriUpgrade naar KadastraleKaart Pro
EB DhMg2dfUpgrade naar KadastraleKaart Pro
P 84sDtZwDC9Im4x9JebrUpgrade naar KadastraleKaart Pro
0 97Ddc vY7HJXgoJI9 Upgrade naar KadastraleKaart Pro
27/05/2008

Percelen
Gebruik de zoekbalk of klik op een perceel om informatie over het perceel te bekijken.