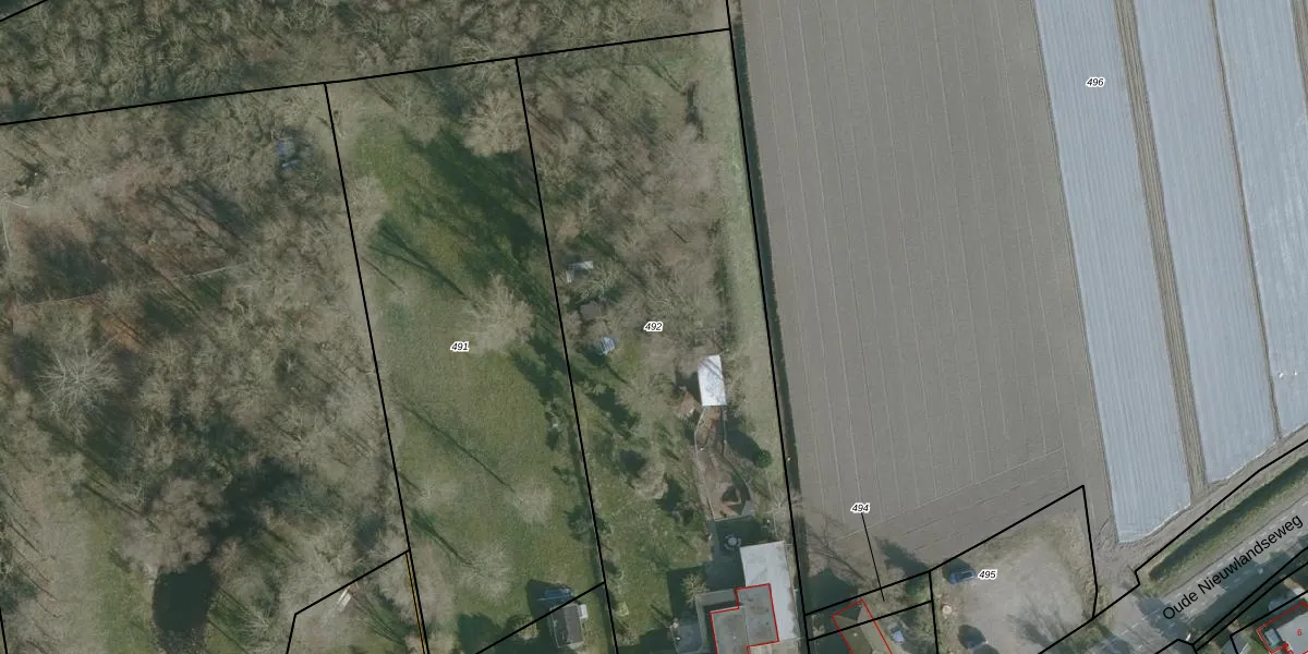
Perceel: ODP01-H-492
KadastraleKaart.com kan meer dan je denktOntdek meer ›
Filter op bestemming 50+ datasets Eigendomsdata in één klik Percelen CRM
3.625 m2 - 307 m
Eigenaar opvragen
ODP01-H-492 (Ouddorp)
- 3253 LL
86JA3kwEAfJmRya1aSDleSAMlUpgrade naar KadastraleKaart Pro
Verkoopprijs opvragen
Bekijk op Street View
Download DWG/DXF/Excel
6WSuA57P2VpzJ5iiGxUgcUpgrade naar KadastraleKaart Pro
7zXN8Vu2qjw3NRFhcUpgrade naar KadastraleKaart Pro
tTBAKDNXvLiUpgrade naar KadastraleKaart Pro
vsaYUYvI Vrikt QX21OUpgrade naar KadastraleKaart Pro
JkwNLr92xErLSUpgrade naar KadastraleKaart Pro
1XIsj WrS Upgrade naar KadastraleKaart Pro
sf3HXR yS9U0fj1ugwrmQUpgrade naar KadastraleKaart Pro
67muA VoI 21KlIx9Upgrade naar KadastraleKaart Pro
dpo at1m7Upgrade naar KadastraleKaart Pro
p M eukdtNpX7I29CZiW Upgrade naar KadastraleKaart Pro
20/12/2022

Percelen
Gebruik de zoekbalk of klik op een perceel om informatie over het perceel te bekijken.