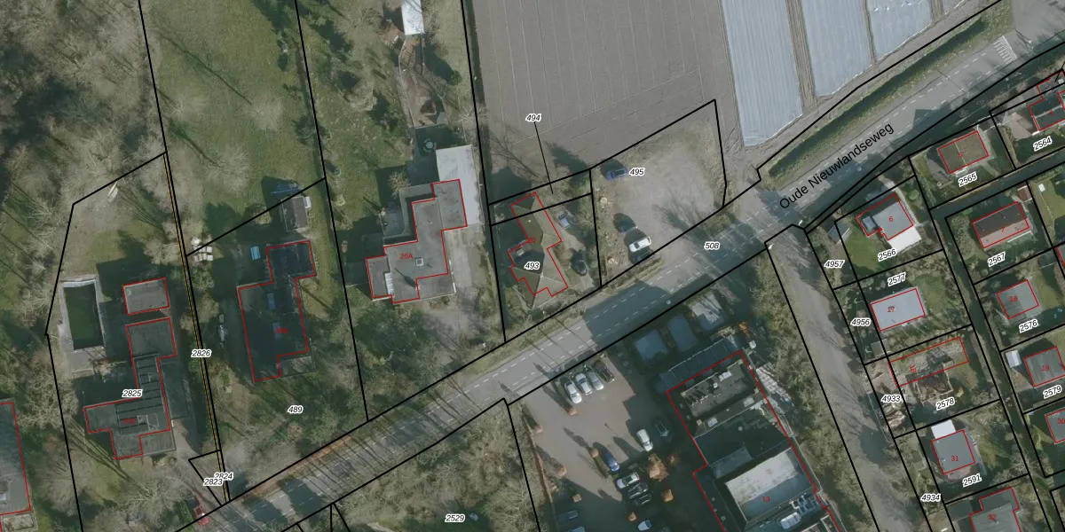
Perceel: ODP01-H-493
KadastraleKaart.com kan meer dan je denktOntdek meer ›
Filter op bestemming 50+ datasets Eigendomsdata in één klik Percelen CRM
390 m2 - 81 m
Eigenaar opvragen
ODP01-H-493 (Ouddorp)
- 3253 LL
zM QCi11m9dlUx21LqTSiUpgrade naar KadastraleKaart Pro
Verkoopprijs opvragen
Bekijk op Street View
Download DWG/DXF/Excel
GJQ VHv7XjZUpgrade naar KadastraleKaart Pro
ysIlqkH5Uic bdvzWeUpgrade naar KadastraleKaart Pro
tXjLdCZw7 2OwUiZUpgrade naar KadastraleKaart Pro
n3ZCkRMO84 EUpgrade naar KadastraleKaart Pro
OAfGtma 53Upgrade naar KadastraleKaart Pro
k6FrCkiSIn2liZBKARjSKwUpgrade naar KadastraleKaart Pro
FqAFvhHDjbRtsCUpgrade naar KadastraleKaart Pro
9Da icypUpgrade naar KadastraleKaart Pro
KEdHDT1sx e I3RpVDUpgrade naar KadastraleKaart Pro
2MbFItdhfriUpgrade naar KadastraleKaart Pro
29/05/2008

Percelen
Gebruik de zoekbalk of klik op een perceel om informatie over het perceel te bekijken.