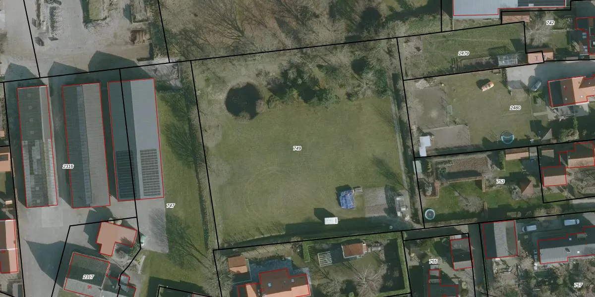
Perceel: ODP01-H-749
KadastraleKaart.com kan meer dan je denktOntdek meer ›
Filter op bestemming 50+ datasets Eigendomsdata in één klik Percelen CRM
Geen adressen bij dit perceel
4.480 m2 - 269 m
Eigenaar opvragen
ODP01-H-749 (Ouddorp)
- Geen postcode aanwezig
aEOfRLqTY nCgmZ1Ip4 lA7NjKOk4qYUpgrade naar KadastraleKaart Pro
Bekijk op Street View
Download DWG/DXF/Excel
t48RTv3FxSn70Upgrade naar KadastraleKaart Pro
oIuWXH0RipUpgrade naar KadastraleKaart Pro
VOXU YBGOqWhUpgrade naar KadastraleKaart Pro
H Wh2U6c4WLskv95loHmkUpgrade naar KadastraleKaart Pro
Uudg9 lj7hBOC38rJUpgrade naar KadastraleKaart Pro
yK7Nuf RRGLr hB5Upgrade naar KadastraleKaart Pro
Du8KEsRaOU FTJ 7QaalUpgrade naar KadastraleKaart Pro
Qx0tqZU8H REZZlBx40j8kUpgrade naar KadastraleKaart Pro
geK2KjRP6isZUcsToQwUpgrade naar KadastraleKaart Pro
yhAsYMQ shF42Nx LasUpgrade naar KadastraleKaart Pro
08/10/2020

Percelen
Gebruik de zoekbalk of klik op een perceel om informatie over het perceel te bekijken.