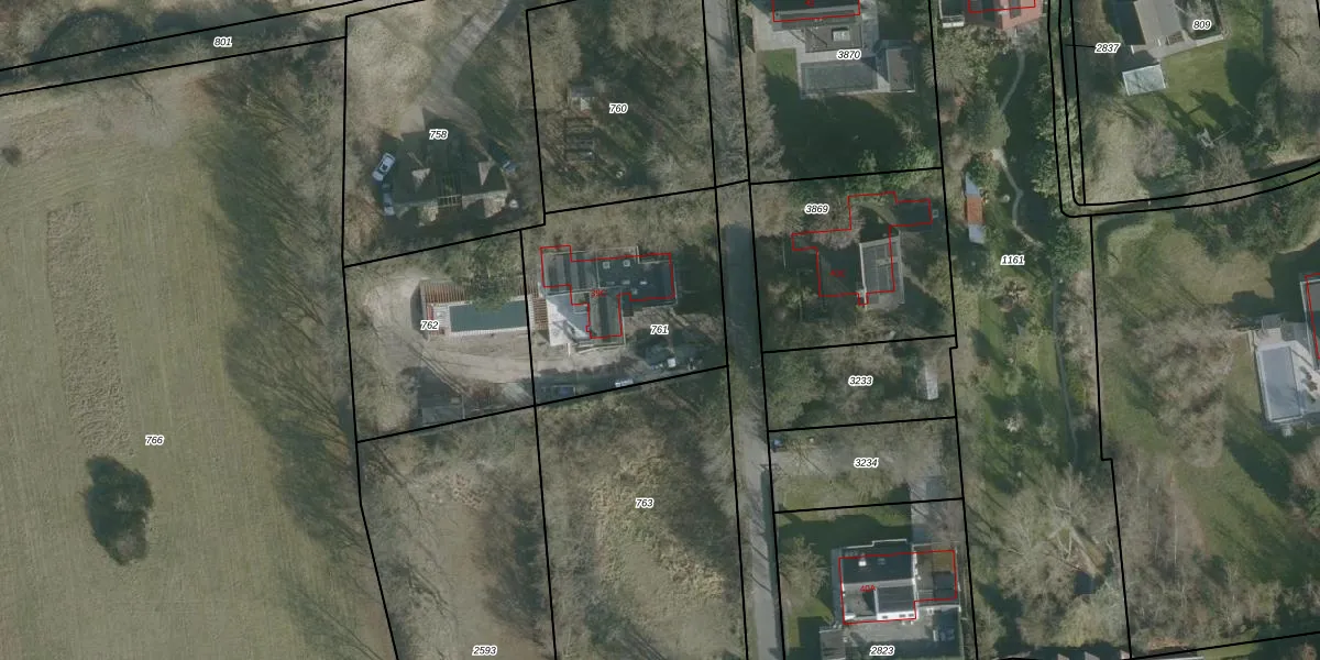
Perceel: ODP01-H-761
KadastraleKaart.com kan meer dan je denktOntdek meer ›
Filter op bestemming 50+ datasets Eigendomsdata in één klik Percelen CRM
821 m2 - 115 m
Eigenaar opvragen
ODP01-H-761 (Ouddorp)
- 3253 BN
S0 liphLVeJInWQ1MqJuUpgrade naar KadastraleKaart Pro
Verkoopprijs opvragen
Bekijk op Street View
Download DWG/DXF/Excel
FNx39w7I TJqH ZB3y y32LUpgrade naar KadastraleKaart Pro
B2tQ9kMK6moOvcUpgrade naar KadastraleKaart Pro
u7dTRPqX7kQ3rcUpgrade naar KadastraleKaart Pro
0X98h vy JUpgrade naar KadastraleKaart Pro
a68aREgL0TXuCqPUpgrade naar KadastraleKaart Pro
thDtoLlgvNwGAUpgrade naar KadastraleKaart Pro
QvmeCdSPez5iICImHfL Upgrade naar KadastraleKaart Pro
iKKQ3bj Dl4VoBxZPfOkUpgrade naar KadastraleKaart Pro
BcuguxejrIVXxUpgrade naar KadastraleKaart Pro
CtcCCUrLCxj1jCUpgrade naar KadastraleKaart Pro
20/06/2016

Percelen
Gebruik de zoekbalk of klik op een perceel om informatie over het perceel te bekijken.