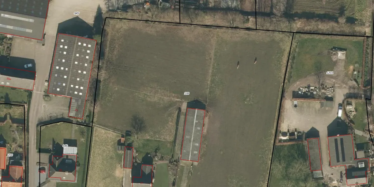
Perceel: ODR01-L-199
KadastraleKaart.com kan meer dan je denktOntdek meer ›
Filter op bestemming 50+ datasets Eigendomsdata in één klik Percelen CRM
9.910 m2 - 398 m
Eigenaar opvragen
ODR01-L-199 (Sint Oedenrode)
- 5491 SR
BA4y Ve00o3bC zgpo ygfUpgrade naar KadastraleKaart Pro
Verkoopprijs opvragen
Bekijk op Street View
Download DWG/DXF/Excel
k0A1n2mp5A98Mal Upgrade naar KadastraleKaart Pro
jo7ONWuXBUpgrade naar KadastraleKaart Pro
kjOL3 HvZhTw8 QuyUUpgrade naar KadastraleKaart Pro
Q fEA EX9ZFQEgSaolL62hBUpgrade naar KadastraleKaart Pro
VuV6XtNY3dUpgrade naar KadastraleKaart Pro
K4N AitHprKa752hpRofWRUpgrade naar KadastraleKaart Pro
8aPh8GHe6auZHzccUpgrade naar KadastraleKaart Pro
BQsR3S2GUWVBSUpgrade naar KadastraleKaart Pro
O0DouTOXUbe8c kvQUpgrade naar KadastraleKaart Pro
ADO5 lSIxzYzffi9 9Upgrade naar KadastraleKaart Pro
06/02/2009

Percelen
Gebruik de zoekbalk of klik op een perceel om informatie over het perceel te bekijken.