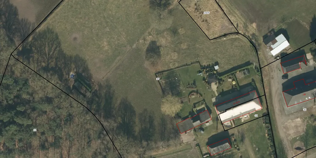
Perceel: ODR01-L-30

Adres bij perceel

Geen adressen bij dit perceel

Perceeloppervlakte & perceelomtrek

16.600 m2 - 646 m

Eigenaar van het perceel

Eigenaar opvragen

Kadastrale aanduiding

ODR01-L-30 (Sint Oedenrode)

Postcode in perceel

    Geen postcode aanwezig

Type eigenaar

FAh6i59bDRB3gySwYwD wTef8 Upgrade naar KadastraleKaart Pro

Google Street View

Bekijk op Street View

Download

Download DWG/DXF/Excel

Gerelateerde percelen

o KsKIakqCUpgrade naar KadastraleKaart Pro

Bebouwd/onbebouwd/water/groen

a HcHB AUa7y6WdObY1JXZUpgrade naar KadastraleKaart Pro
Administratieve eenheden
H2dYdsLH 3Upgrade naar KadastraleKaart Pro

Appartementsrechten

rXh PH42dh1pUpgrade naar KadastraleKaart Pro

Vergunningverlenende instanties

vKfzxw3 gYGrrUpgrade naar KadastraleKaart Pro

Bedekking (BGT)

4Ns4S3IvgtvK6 U5gYr4LhtUpgrade naar KadastraleKaart Pro

Publiekrechtelijke beperkingen

z20ADraSHUpgrade naar KadastraleKaart Pro

Grensnauwkeurigheid

xUJQlBVYxBUNHrUpgrade naar KadastraleKaart Pro

Coördinaten hoekpunten perceel

5KMS UQxmWv3o Upgrade naar KadastraleKaart Pro

Hoogteligging

oXgqY02hJUpgrade naar KadastraleKaart Pro

Laatst gewijzigd

17/05/2021

Kadastrale kaart met maatvoering 59,95
Kadastrale kaart pakket 28,95

Percelen

Gebruik de zoekbalk of klik op een perceel om informatie over het perceel te bekijken.
Locatie
Meten
Lagen
Download