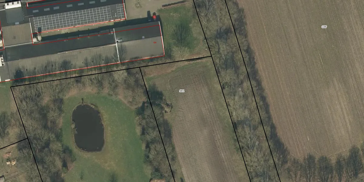
Perceel: ODR01-L-981
Geen adressen bij dit perceel
4.615 m2 - 312 m
Eigenaar opvragen
ODR01-L-981 (Sint Oedenrode)
- Geen postcode aanwezig
oz4FtozfbN3Lrv8shKvjs4 3NjRwRUpgrade naar KadastraleKaart Pro
Bekijk op Street View
Download DWG/DXF/Excel
L rgoajDbk5 gf 0iUpgrade naar KadastraleKaart Pro
T4L 7ewoKpleEUpgrade naar KadastraleKaart Pro
Lg1ME0Xuf8EEMgVDNDyFaDUpgrade naar KadastraleKaart Pro
9j3ILV3wvVnIeWm4vPGUvUpgrade naar KadastraleKaart Pro
Z3xu2aIb3Upgrade naar KadastraleKaart Pro
3W9k9Ng ROE2Fqge5qvGLrAUpgrade naar KadastraleKaart Pro
2OCZgLaqnB0A8Upgrade naar KadastraleKaart Pro
ojolvvP1y Upgrade naar KadastraleKaart Pro
o1hg2rqyUpgrade naar KadastraleKaart Pro
QnQZ rLZ01MOkIWkUpgrade naar KadastraleKaart Pro
31/01/2007

Percelen
Gebruik de zoekbalk of klik op een perceel om informatie over het perceel te bekijken.