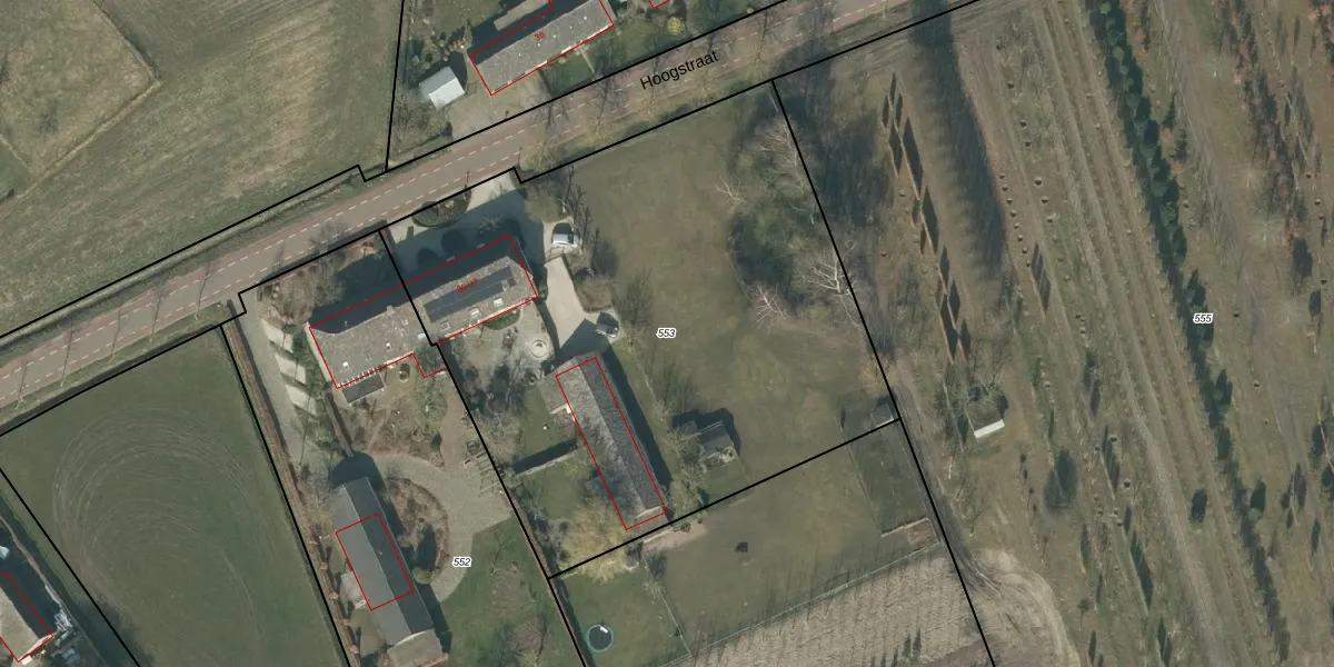
Perceel: ODR01-N-553
KadastraleKaart.com kan meer dan je denktOntdek meer ›
Filter op bestemming 50+ datasets Eigendomsdata in één klik Percelen CRM
3.395 m2 - 237 m
Eigenaar opvragen
ODR01-N-553 (Sint Oedenrode)
- 5492 VT
XElGpAs 8 b5rznAabOUpgrade naar KadastraleKaart Pro
Bekijk op Street View
Download DWG/DXF/Excel
Je8a syF3luMUpgrade naar KadastraleKaart Pro
dCeJVk6JYFLhGH8XUhL3ltYUpgrade naar KadastraleKaart Pro
2iIhaYBm210CsOC2tffVUpgrade naar KadastraleKaart Pro
TZxlAbP Q 9n9SlUpgrade naar KadastraleKaart Pro
I7dHoGInG7atgs1rUpgrade naar KadastraleKaart Pro
xyeRo 3N2oLJT Upgrade naar KadastraleKaart Pro
HO xgK8Dfc5Upgrade naar KadastraleKaart Pro
Y pHzs j33epoM7puUpgrade naar KadastraleKaart Pro
PtvvtMoLi u XORv 46NTUpgrade naar KadastraleKaart Pro
yebYpnb cpyfQE2gj5Upgrade naar KadastraleKaart Pro
04/04/2005

Percelen
Gebruik de zoekbalk of klik op een perceel om informatie over het perceel te bekijken.