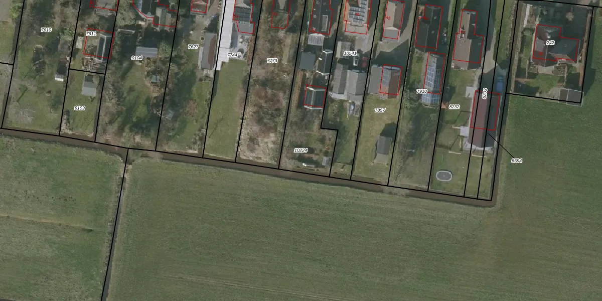
Perceel: ODT00-C-10224
883 m2 - 170 m
Eigenaar opvragen
ODT00-C-10224 (Oudetrijne)
- 8484 KA
54N yE4p84MkmZJUpgrade naar KadastraleKaart Pro
Verkoopprijs opvragen
Bekijk op Street View
Download DWG/DXF/Excel
3O9 b7zTNgUpgrade naar KadastraleKaart Pro
l7hMgW8H Upgrade naar KadastraleKaart Pro
xR41OEBfoHpQ0 6a MUpgrade naar KadastraleKaart Pro
hY6c9ZELSlkfRLUpgrade naar KadastraleKaart Pro
JNBlGz1jcJrM S4Upgrade naar KadastraleKaart Pro
c3HhWZ1Y AxUjhDe3f9C9Upgrade naar KadastraleKaart Pro
h4pMQU0b8tfw JRhRUUpDVUpgrade naar KadastraleKaart Pro
xTcfjwq0 qUpgrade naar KadastraleKaart Pro
9ZBM WHVYRlDVUpgrade naar KadastraleKaart Pro
gg4a1ziHkw1DBylnL2TUpgrade naar KadastraleKaart Pro
22/02/2008

Percelen
Gebruik de zoekbalk of klik op een perceel om informatie over het perceel te bekijken.