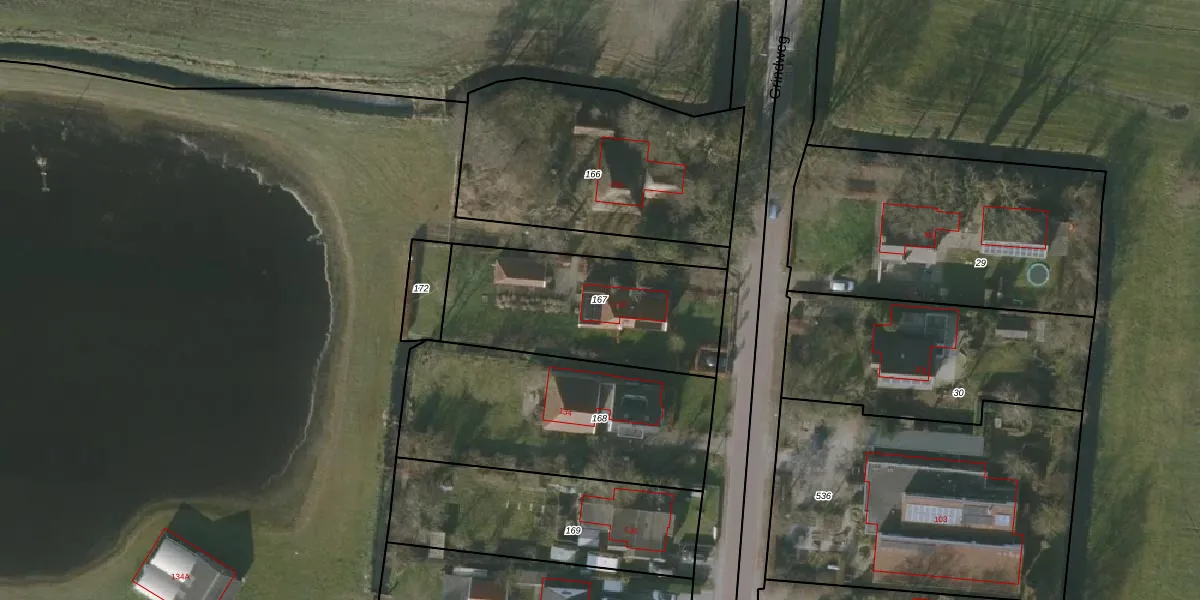
Perceel: ODT00-K-167
KadastraleKaart.com kan meer dan je denktOntdek meer ›
Filter op bestemming 50+ datasets Eigendomsdata in één klik Percelen CRM
800 m2 - 127 m
Eigenaar opvragen
ODT00-K-167 (Oudetrijne)
- 8485 JG
bZ6V SzLNWeJ omFUpgrade naar KadastraleKaart Pro
Verkoopprijs opvragen
Bekijk op Street View
Download DWG/DXF/Excel
48dStXa cDCkjTPnKUpgrade naar KadastraleKaart Pro
VDkmZx0OHcP Upgrade naar KadastraleKaart Pro
sbzJz4gitCPlmI4Upgrade naar KadastraleKaart Pro
ImY397Ub bM2SMaOxP oUpgrade naar KadastraleKaart Pro
qCDYFSaqr3qSj Ufi5osqKUpgrade naar KadastraleKaart Pro
Ms7D5ADCf8ummUpgrade naar KadastraleKaart Pro
rC2sSg5MLjGXGbPYUpgrade naar KadastraleKaart Pro
8n3bjYd KX geRtYbZV GUpgrade naar KadastraleKaart Pro
hjuC v V7zshm4Upgrade naar KadastraleKaart Pro
jA7GgaL9cYxTUVBwc7Upgrade naar KadastraleKaart Pro
19/08/2009

Percelen
Gebruik de zoekbalk of klik op een perceel om informatie over het perceel te bekijken.