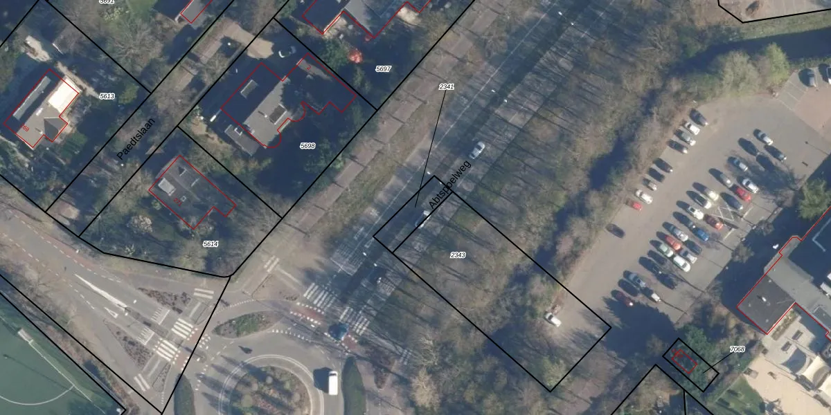
Perceel: OGT00-C-2341
KadastraleKaart.com kan meer dan je denktOntdek meer ›
Filter op bestemming 50+ datasets Eigendomsdata in één klik Percelen CRM
Geen adressen bij dit perceel
100 m2 - 54 m
Eigenaar opvragen
OGT00-C-2341 (Oegstgeest)
- Geen postcode aanwezig
GOpHkpPJklHv1F3Gg21o OPp7vzZUpgrade naar KadastraleKaart Pro
Bekijk op Street View
Download DWG/DXF/Excel
xGBR89L4 AySu ubdUpgrade naar KadastraleKaart Pro
nBUhrjqPpV km1fXlPUpgrade naar KadastraleKaart Pro
Mp1LkhmdCNaUpgrade naar KadastraleKaart Pro
COy94vv5ZAMANj7r kUpgrade naar KadastraleKaart Pro
m ALpxw hUpgrade naar KadastraleKaart Pro
tlozcy3 qReUpgrade naar KadastraleKaart Pro
YxEajKtGrnalgg Upgrade naar KadastraleKaart Pro
SLu2SBW0GT AR0Upgrade naar KadastraleKaart Pro
CCYh E JUpgrade naar KadastraleKaart Pro
27ILKJbmySaUpgrade naar KadastraleKaart Pro
23/10/2008

Percelen
Gebruik de zoekbalk of klik op een perceel om informatie over het perceel te bekijken.