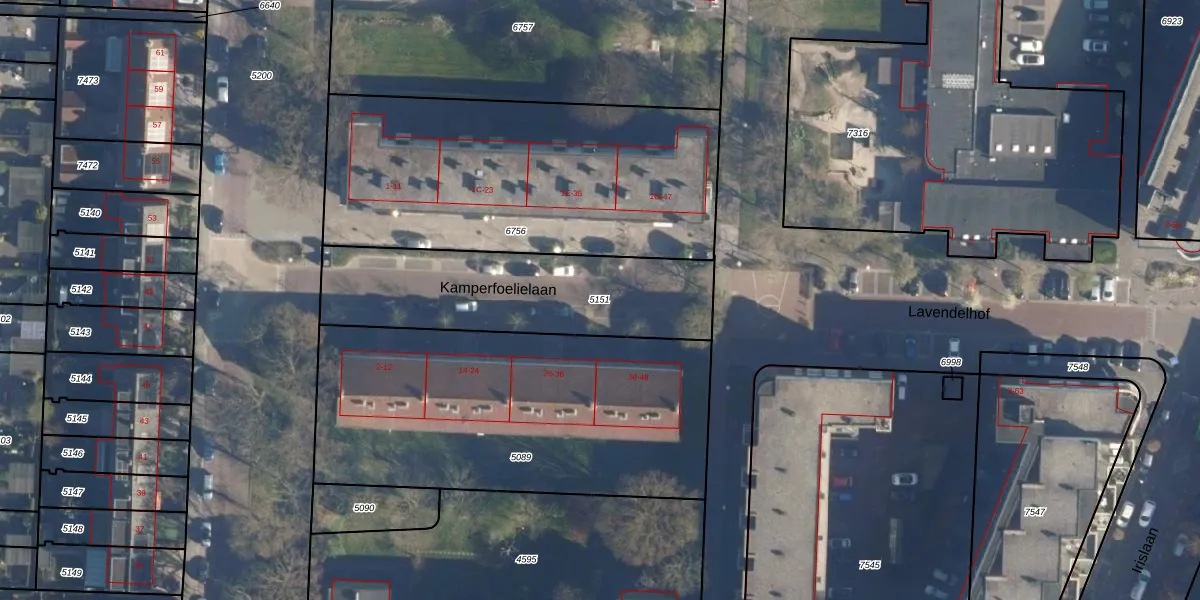
Perceel: OGT00-C-5151
KadastraleKaart.com kan meer dan je denktOntdek meer ›
Filter op bestemming 50+ datasets Eigendomsdata in één klik Percelen CRM
Geen adressen bij dit perceel
865 m2 - 159 m
Eigenaar opvragen
OGT00-C-5151 (Oegstgeest)
- Geen postcode aanwezig
MgVR N 7 NCS14wtxi31AeqyN8mWTUpgrade naar KadastraleKaart Pro
Bekijk op Street View
Download DWG/DXF/Excel
flSTEaBZl7J3CHkOyOV6xbUpgrade naar KadastraleKaart Pro
NIJdk3NDW9Jx8NzdUyxcNyxUpgrade naar KadastraleKaart Pro
zgA33Jc YioKgbo2Upgrade naar KadastraleKaart Pro
GgAR 5z6R Upgrade naar KadastraleKaart Pro
F7 G4sIe6m3IzVdAupclUpgrade naar KadastraleKaart Pro
GfrIoPo zzpxF8Upgrade naar KadastraleKaart Pro
094oXgWIUpgrade naar KadastraleKaart Pro
mXMBomjYG cu5gdsUpgrade naar KadastraleKaart Pro
4F5xgeTnQfy Tm7K8zUpgrade naar KadastraleKaart Pro
Nbhr2wjrs1F 5A Upgrade naar KadastraleKaart Pro
15/10/2009

Percelen
Gebruik de zoekbalk of klik op een perceel om informatie over het perceel te bekijken.